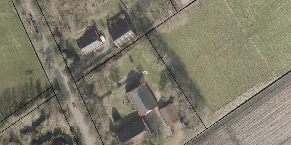
Perceel: BGR01-R-310
5.010 m2 - 286 m
Eigenaar opvragen
BGR01-R-310 (Borger)
- 9524 PD
2LmR 1py7 sO 7gGUpgrade naar KadastraleKaart Pro
Verkoopprijs opvragen
Bekijk op Street View
Download DWG/DXF/Excel
NX GmE0MfEx77szFfUpgrade naar KadastraleKaart Pro
gHjCIq AUpgrade naar KadastraleKaart Pro
xkpyfO LtLOrjUpgrade naar KadastraleKaart Pro
OBRP qxvhcv71Upgrade naar KadastraleKaart Pro
U5XdgqgsVb y8yvnjIUpgrade naar KadastraleKaart Pro
GsKQhXDB5qx9DUpgrade naar KadastraleKaart Pro
je7lBcwB7Ule vOUpgrade naar KadastraleKaart Pro
PqZ12kE5TszzObgwrUpgrade naar KadastraleKaart Pro
zdwI86POONJU3kmCcxcfQIUpgrade naar KadastraleKaart Pro
v0VjWWGAEFYGQX4Upgrade naar KadastraleKaart Pro
11/05/2001

Percelen
Gebruik de zoekbalk of klik op een perceel om informatie over het perceel te bekijken.