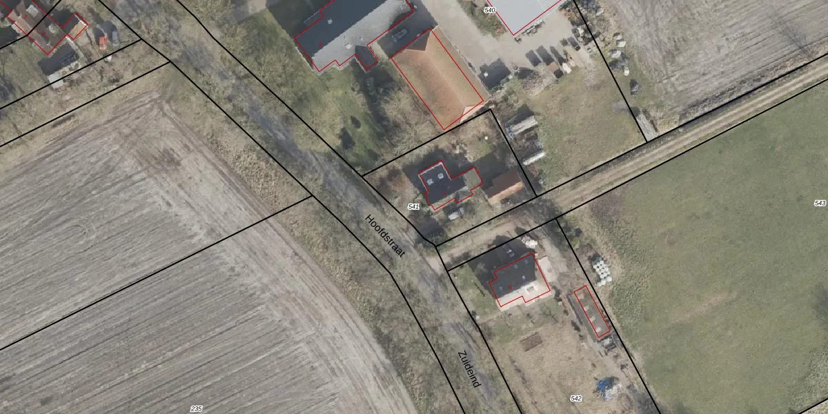
Perceel: BGR01-R-541
KadastraleKaart.com kan meer dan je denktOntdek meer ›
Filter op bestemming 50+ datasets Eigendomsdata in één klik Percelen CRM
738 m2 - 111 m
Eigenaar opvragen
BGR01-R-541 (Borger)
- 9525 TE
Y1YoEVl MHMdvzsA OmUpgrade naar KadastraleKaart Pro
Verkoopprijs opvragen
Bekijk op Street View
Download DWG/DXF/Excel
aI SATu7 g2vll2D2EPUpgrade naar KadastraleKaart Pro
c3QsS PO4OKiSUpgrade naar KadastraleKaart Pro
sCjf 0v BhzBziw NHUpgrade naar KadastraleKaart Pro
pqBHsTrHQq9xFUpgrade naar KadastraleKaart Pro
buFdipBs0HY wtCKKUpgrade naar KadastraleKaart Pro
Ahe3 oNAw 7PIUpgrade naar KadastraleKaart Pro
Wx7HhyiKUpgrade naar KadastraleKaart Pro
y5JpAtQUpgrade naar KadastraleKaart Pro
qE6fQdSyO mjd2 p2zWUpgrade naar KadastraleKaart Pro
HfnxasIxrEbQnZL icC SUpgrade naar KadastraleKaart Pro
23/05/2001

Percelen
Gebruik de zoekbalk of klik op een perceel om informatie over het perceel te bekijken.