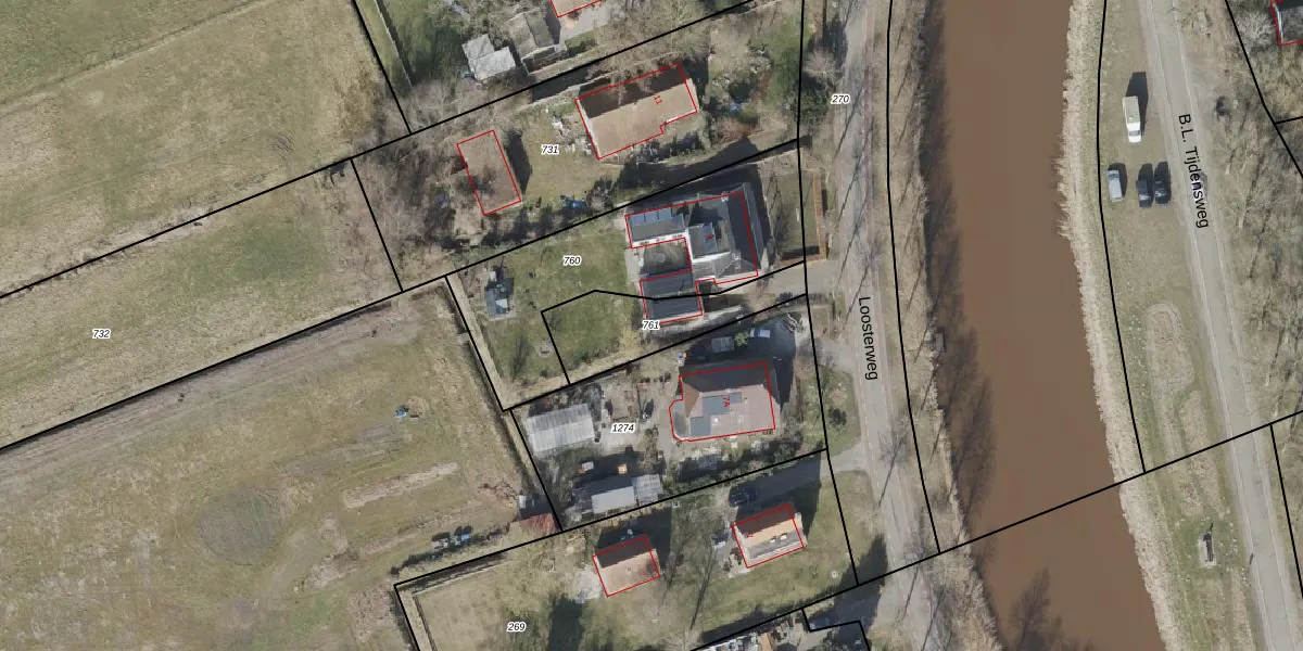
Perceel: BLW00-N-761
Geen adressen bij dit perceel
310 m2 - 98 m
Eigenaar opvragen
BLW00-N-761 (Bellingwolde)
- Geen postcode aanwezig
sL0VjI0Xxr eHr bAbKezgM43OkUpgrade naar KadastraleKaart Pro
Bekijk op Street View
Download DWG/DXF/Excel
GP ZIAMT5HZaO0EUpgrade naar KadastraleKaart Pro
Offca MLHux6O1JUpgrade naar KadastraleKaart Pro
Zmc 6hGkUpgrade naar KadastraleKaart Pro
a4Cjl0IjhUpgrade naar KadastraleKaart Pro
woTIHOy4yLHUpgrade naar KadastraleKaart Pro
SKfPkKGZw9 G Upgrade naar KadastraleKaart Pro
lH1 spfu YZXAMxm pxHeUpgrade naar KadastraleKaart Pro
Xd9lOi SETEHGoVUpgrade naar KadastraleKaart Pro
p9a JLXmvOvsaQUpgrade naar KadastraleKaart Pro
xy6QyzWfme O2ccyEQUpgrade naar KadastraleKaart Pro
05/11/2002

Percelen
Gebruik de zoekbalk of klik op een perceel om informatie over het perceel te bekijken.