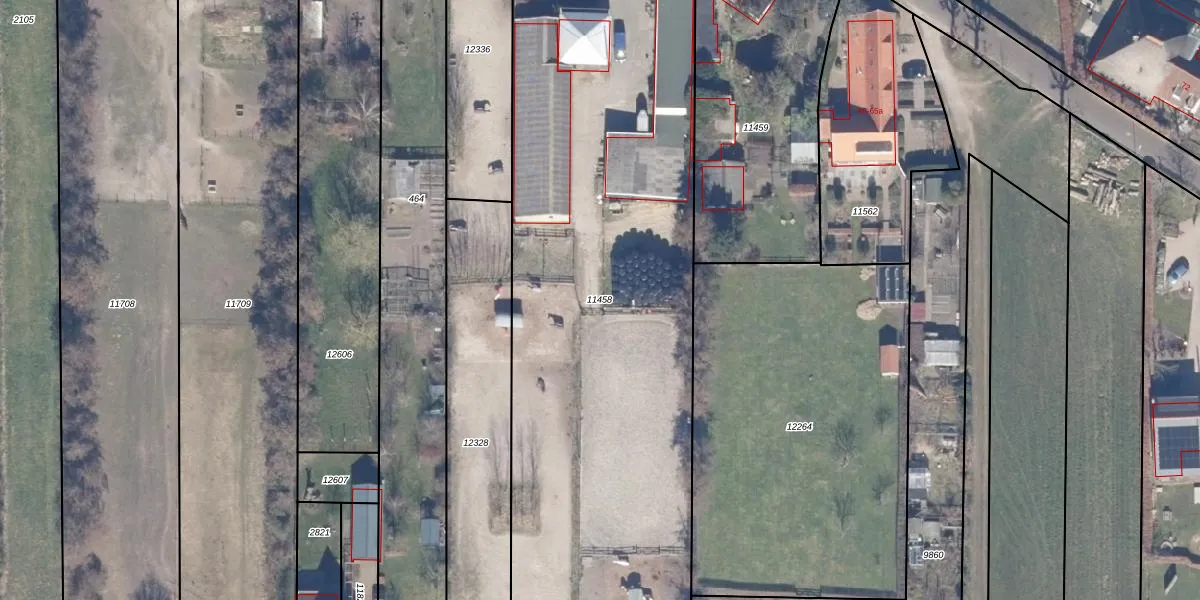
Perceel: CTC00-B-11458
KadastraleKaart.com kan meer dan je denktOntdek meer ›
Filter op bestemming 50+ datasets Eigendomsdata in één klik Percelen CRM
5.150 m2 - 416 m
Eigenaar opvragen
CTC00-B-11458 (Castricum)
- 1902 RL
f0z6b2hAQAsI Lj x Ed3FJUpgrade naar KadastraleKaart Pro
Bekijk op Street View
Download DWG/DXF/Excel
FmdT B5g t3pLeDUpgrade naar KadastraleKaart Pro
Hdy7Mxwz8HUpgrade naar KadastraleKaart Pro
J NUfetL2 xpbUpgrade naar KadastraleKaart Pro
1EEqZBiAN1qsOVde6Upgrade naar KadastraleKaart Pro
d06qXC5PpSUpgrade naar KadastraleKaart Pro
hj9eYKaAlzmSGya C5LUpgrade naar KadastraleKaart Pro
rbfwD YpoyYUpgrade naar KadastraleKaart Pro
7GHaMxREUpgrade naar KadastraleKaart Pro
sgZUYar9 TQcZrfiHLX6nNCUpgrade naar KadastraleKaart Pro
ubNVToXY4V 4xh ysUpgrade naar KadastraleKaart Pro
11/09/2012

Percelen
Gebruik de zoekbalk of klik op een perceel om informatie over het perceel te bekijken.