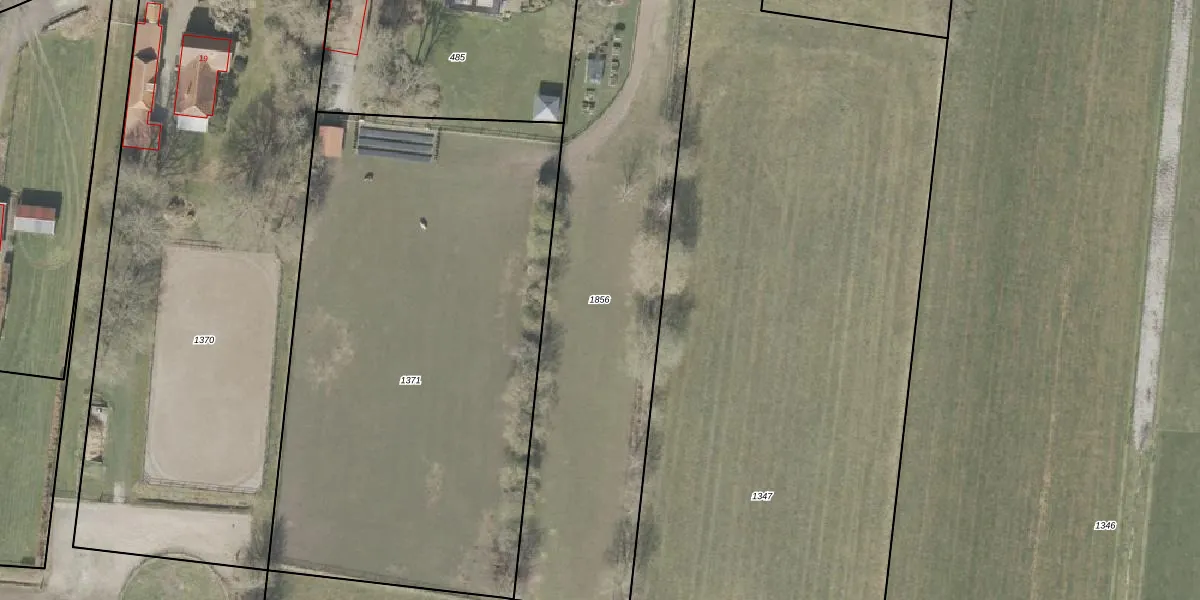
Perceel: DVR00-I-1856
Geen adressen bij dit perceel
2.835 m2 - 333 m
Eigenaar opvragen
DVR00-I-1856 (Diever)
- Geen postcode aanwezig
3FFBomS5pqyZrYctJJHnbCZLhWugkUpgrade naar KadastraleKaart Pro
Bekijk op Street View
Download DWG/DXF/Excel
f uMrIjiZUBUO fxqtFUpgrade naar KadastraleKaart Pro
TKx GD 8h HRT sI5fg OUpgrade naar KadastraleKaart Pro
Po3jh6gmp C LAp9YJUpgrade naar KadastraleKaart Pro
3RJukVd1LUpgrade naar KadastraleKaart Pro
XW09 hU i2Hl8evUnUpgrade naar KadastraleKaart Pro
VIb4ip7ciN fjc2 Upgrade naar KadastraleKaart Pro
v 8q2JiQpMdzsRNeuSUpgrade naar KadastraleKaart Pro
yaR8F4jELvkn3Upgrade naar KadastraleKaart Pro
eHVaXGrRdpZ ll8 6Upgrade naar KadastraleKaart Pro
fQoLoOkKilUvUpgrade naar KadastraleKaart Pro
03/07/2012

Percelen
Gebruik de zoekbalk of klik op een perceel om informatie over het perceel te bekijken.