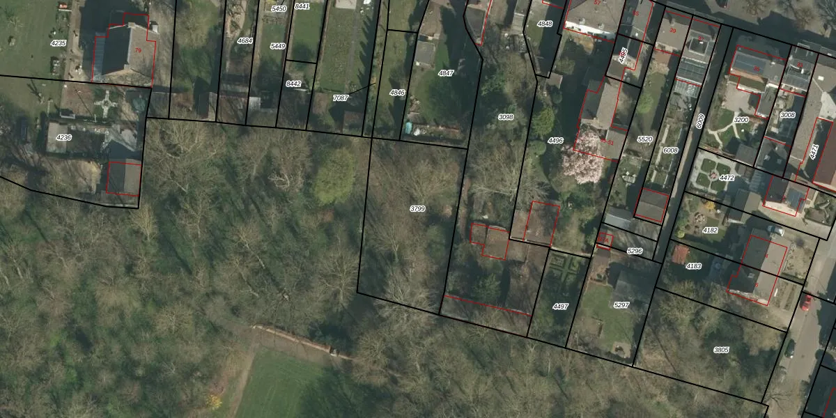
Perceel: EDN00-D-3799
KadastraleKaart.com kan meer dan je denktOntdek meer ›
Filter op bestemming 50+ datasets Eigendomsdata in één klik Percelen CRM
Geen adressen bij dit perceel
834 m2 - 121 m
Eigenaar opvragen
EDN00-D-3799 (Eijsden)
- Geen postcode aanwezig
YZJEvFHz mFXxbNyyujhUpgrade naar KadastraleKaart Pro
Bekijk op Street View
Download DWG/DXF/Excel
vsGc9i K7sLg q a60Upgrade naar KadastraleKaart Pro
le3y7PUMiuh GcihAUpgrade naar KadastraleKaart Pro
k6wFx2C60Y36iLliUpgrade naar KadastraleKaart Pro
r n 1aSTpRJzxgkUSCeUpgrade naar KadastraleKaart Pro
M1C6AZo3axwe Upgrade naar KadastraleKaart Pro
kiFVx UGu3z FzVZMUpgrade naar KadastraleKaart Pro
AIQTyqEU2oUpgrade naar KadastraleKaart Pro
uCu6H6wIoVA1Ay Ll MAZNiUpgrade naar KadastraleKaart Pro
q H4 ttKegtyf2zUpgrade naar KadastraleKaart Pro
2FV qoej9Xy LVRu Upgrade naar KadastraleKaart Pro
06/10/2011

Percelen
Gebruik de zoekbalk of klik op een perceel om informatie over het perceel te bekijken.