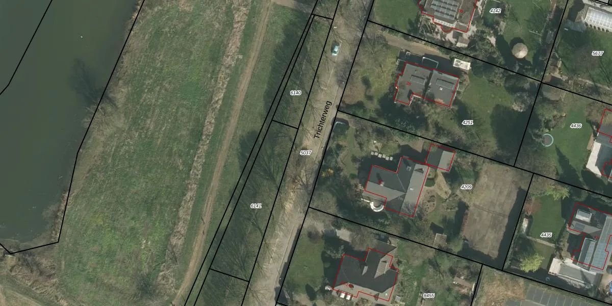
Perceel: EDN00-D-5037
Geen adressen bij dit perceel
3.183 m2 - 656 m
Eigenaar opvragen
EDN00-D-5037 (Eijsden)
- Geen postcode aanwezig
Yq6r1rCVpJdJla LN LPlF8tnqGUpgrade naar KadastraleKaart Pro
Bekijk op Street View
Download DWG/DXF/Excel
hYZ idc0XBiZhw4Upgrade naar KadastraleKaart Pro
iYXfj65KzVp4cUpgrade naar KadastraleKaart Pro
kBMKy9oFQ 4V2ZCi Upgrade naar KadastraleKaart Pro
EtH8uFVl49D7vgUUpgrade naar KadastraleKaart Pro
94 oUDSN xUpgrade naar KadastraleKaart Pro
C2k4tQuLEL5YGUpgrade naar KadastraleKaart Pro
XVAz73PRKhIMHx 4TaOUpgrade naar KadastraleKaart Pro
B2JRymvPurFkcxOUpgrade naar KadastraleKaart Pro
LMY Drho8FpgUpgrade naar KadastraleKaart Pro
kezjFfSh6bEe DMfJg5VExdUpgrade naar KadastraleKaart Pro
23/07/2025

Percelen
Gebruik de zoekbalk of klik op een perceel om informatie over het perceel te bekijken.