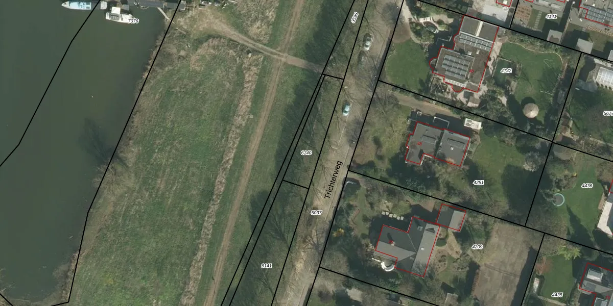
Perceel: EDN00-D-6140
KadastraleKaart.com kan meer dan je denktOntdek meer ›
Filter op bestemming 50+ datasets Eigendomsdata in één klik Percelen CRM
Geen adressen bij dit perceel
275 m2 - 90 m
Eigenaar opvragen
EDN00-D-6140 (Eijsden)
- Geen postcode aanwezig
kFGFCeYdtoeMjrdkdCpGUpgrade naar KadastraleKaart Pro
Bekijk op Street View
Download DWG/DXF/Excel
rIgDb0qPMXTEXI8bEJfZPqEUpgrade naar KadastraleKaart Pro
s1KdT 8RabTGlyByZ9152MUpgrade naar KadastraleKaart Pro
EZGsJ4ARjHk4YUpgrade naar KadastraleKaart Pro
RcSTrvyRUpgrade naar KadastraleKaart Pro
HL1Wj DzhUpgrade naar KadastraleKaart Pro
uDsjSpeH F30soy ggMKUpgrade naar KadastraleKaart Pro
ycvpM8CmYAgox3kOUpgrade naar KadastraleKaart Pro
ICmRfHHa6MqNaUpgrade naar KadastraleKaart Pro
E mGixwy SIBUpgrade naar KadastraleKaart Pro
lEUBTQKQnK63RKYUpgrade naar KadastraleKaart Pro
11/10/2011

Percelen
Gebruik de zoekbalk of klik op een perceel om informatie over het perceel te bekijken.