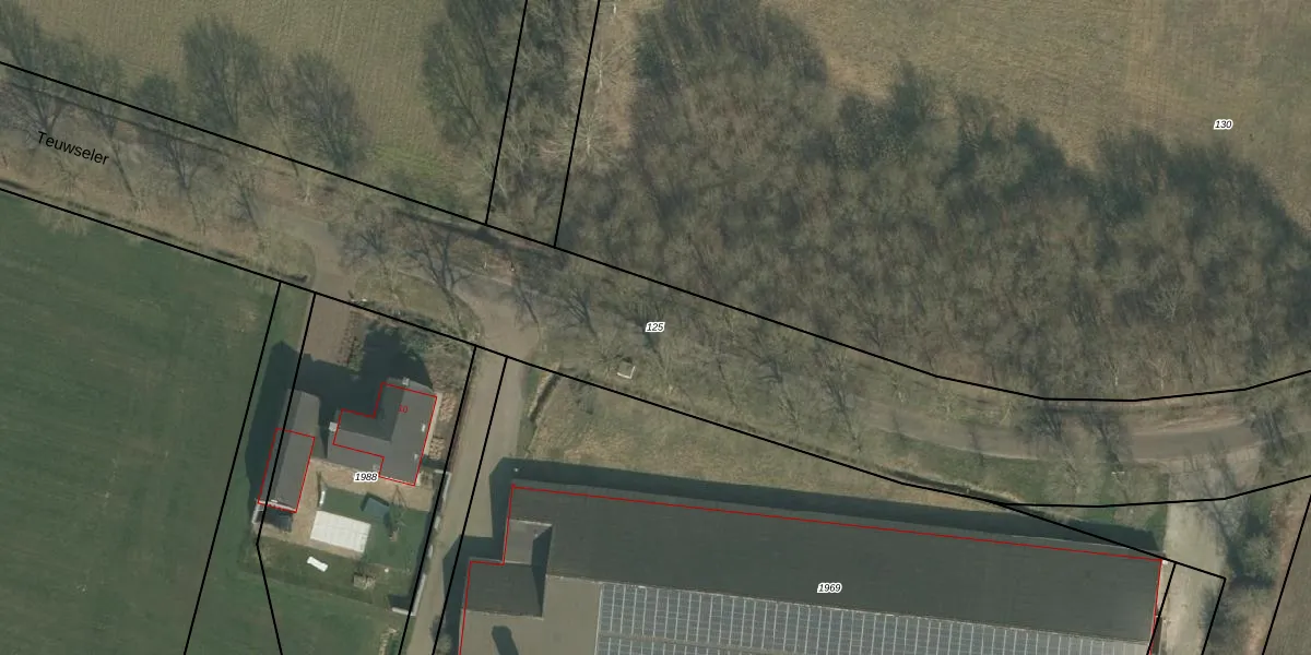
Perceel: ERP00-P-125
KadastraleKaart.com kan meer dan je denktOntdek meer ›
Filter op bestemming 50+ datasets Eigendomsdata in één klik Percelen CRM
Geen adressen bij dit perceel
19.750 m2 - 2.503 m
Eigenaar opvragen
ERP00-P-125 (Erp)
- Geen postcode aanwezig
7P7CYgooyL k55uwyn19CHUpgrade naar KadastraleKaart Pro
Bekijk op Street View
Download DWG/DXF/Excel
NSo 4SecFdRM zNWSvDUpgrade naar KadastraleKaart Pro
enZ5o16cxefM4WqFs0Upgrade naar KadastraleKaart Pro
GV1GffHJh0vRPocIYL V bEUpgrade naar KadastraleKaart Pro
c8c QYfycedGYFPRRd8An8Upgrade naar KadastraleKaart Pro
dcm18IjGxEUpgrade naar KadastraleKaart Pro
JkiuOtiC4ZTl6sgUpgrade naar KadastraleKaart Pro
ggcNBeV JxBcfAUpgrade naar KadastraleKaart Pro
UZn24ejelJKotf3Upgrade naar KadastraleKaart Pro
7cvylR71BJzEnCbHfdUpgrade naar KadastraleKaart Pro
hw uOK rybyxr4CHPA RUpgrade naar KadastraleKaart Pro
16/07/2019

Percelen
Gebruik de zoekbalk of klik op een perceel om informatie over het perceel te bekijken.