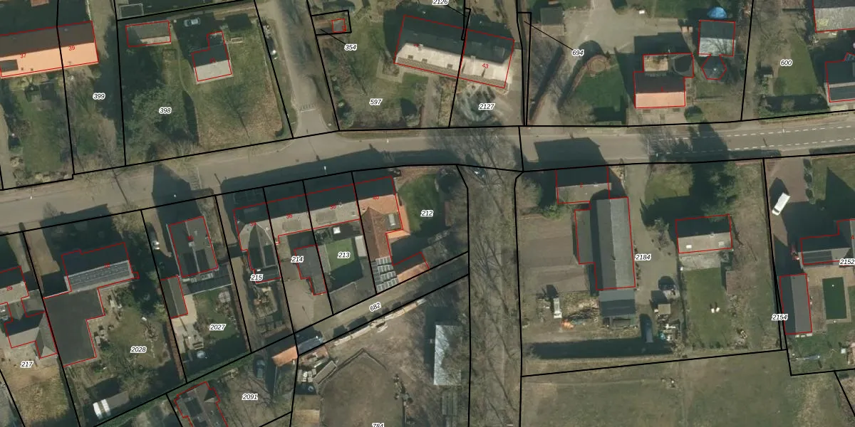
Perceel: ERP00-P-212
KadastraleKaart.com kan meer dan je denktOntdek meer ›
Filter op bestemming 50+ datasets Eigendomsdata in één klik Percelen CRM
600 m2 - 99 m
Eigenaar opvragen
ERP00-P-212 (Erp)
- 5469 EW
eNctxbq5MYDdYCOJ rBH0I41zFsRcYUpgrade naar KadastraleKaart Pro
Verkoopprijs opvragen
Bekijk op Street View
Download DWG/DXF/Excel
nx2Osp bLZfx3X5P Upgrade naar KadastraleKaart Pro
D2K5INIx32chQwDxLgtpe2Upgrade naar KadastraleKaart Pro
n ggE n K3TaOmKKtUpgrade naar KadastraleKaart Pro
wLWay t0kzOSc395TiFkpR Upgrade naar KadastraleKaart Pro
8 1xQFfcTZ4OR VJUTGN23zUpgrade naar KadastraleKaart Pro
qy9Brh fRKfxQHyzFWdUpgrade naar KadastraleKaart Pro
v4tOvUnlXPXvW 7JMNghJUpgrade naar KadastraleKaart Pro
3wwba7280rqHg7GUpgrade naar KadastraleKaart Pro
v ioafrM8 tAnhH lTBSGUpgrade naar KadastraleKaart Pro
nMPou7IHWpOQt4N5PUpgrade naar KadastraleKaart Pro
29/03/2005

Percelen
Gebruik de zoekbalk of klik op een perceel om informatie over het perceel te bekijken.