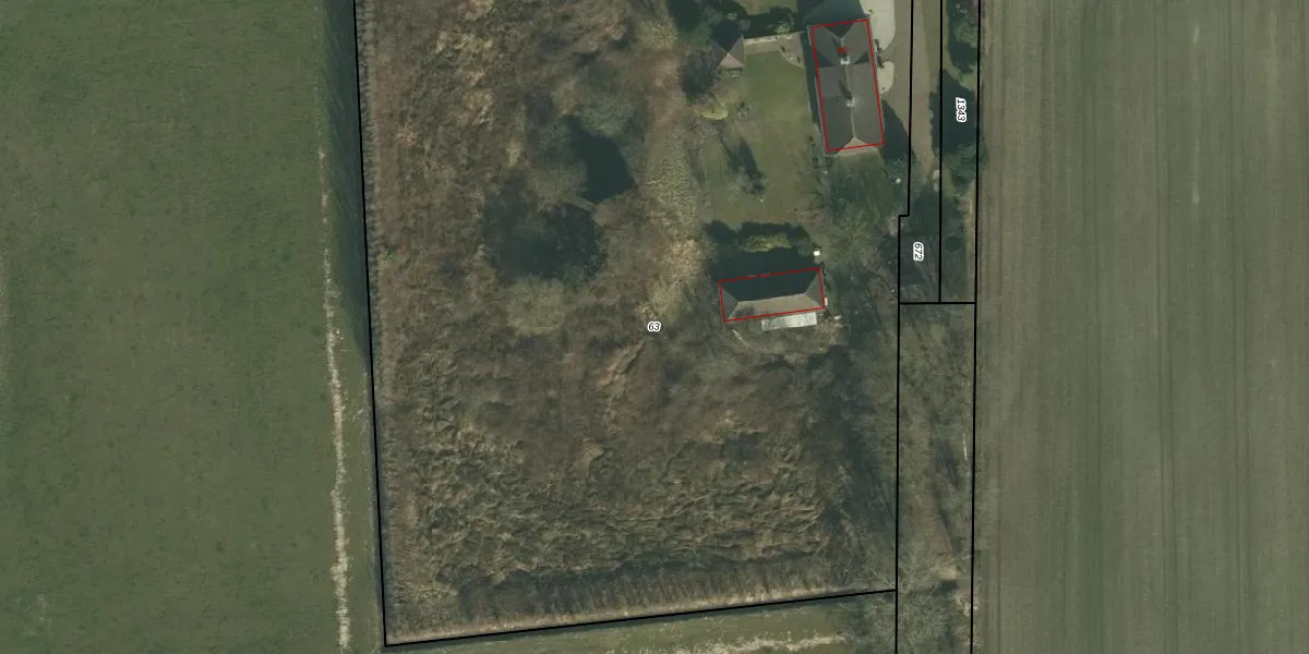
Perceel: ERP00-P-63
KadastraleKaart.com kan meer dan je denktOntdek meer ›
Filter op bestemming 50+ datasets Eigendomsdata in één klik Percelen CRM
9.040 m2 - 386 m
Eigenaar opvragen
ERP00-P-63 (Erp)
- 5469 PE
vcU3sT5 ipVRdI7LQM pi2yJ7UJoCsUpgrade naar KadastraleKaart Pro
Bekijk op Street View
Download DWG/DXF/Excel
qa8JsdRSEkVcad8MOl3h1Upgrade naar KadastraleKaart Pro
Tlqe5KgV6KRJh oUpgrade naar KadastraleKaart Pro
UQsCxnBCbx m1yNxALhnhFGUpgrade naar KadastraleKaart Pro
z vSi4N7OhKTUpgrade naar KadastraleKaart Pro
QJ FHJPxHm2 KUpgrade naar KadastraleKaart Pro
RP1Bon4LUpgrade naar KadastraleKaart Pro
eeFkMCmGBy23wCDcDUpgrade naar KadastraleKaart Pro
CVqBL KC2cV3QJUpgrade naar KadastraleKaart Pro
LxeD 6 WBVufAJjSPfUpgrade naar KadastraleKaart Pro
kPBQihIpYUpgrade naar KadastraleKaart Pro
29/03/2005

Percelen
Gebruik de zoekbalk of klik op een perceel om informatie over het perceel te bekijken.