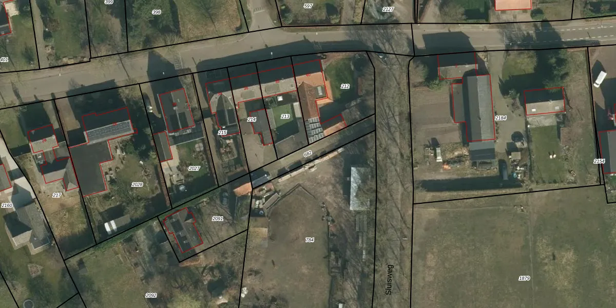
Perceel: ERP00-P-682
KadastraleKaart.com kan meer dan je denktOntdek meer ›
Filter op bestemming 50+ datasets Eigendomsdata in één klik Percelen CRM
Geen adressen bij dit perceel
250 m2 - 100 m
Eigenaar opvragen
ERP00-P-682 (Erp)
- Geen postcode aanwezig
qJHSxwgB6P7a5 TLLu3Upgrade naar KadastraleKaart Pro
Bekijk op Street View
Download DWG/DXF/Excel
az RGo 2JHmUpgrade naar KadastraleKaart Pro
vnRcs NjfUpgrade naar KadastraleKaart Pro
FtjtDD0DEqEQ73S Upgrade naar KadastraleKaart Pro
e8MjaLKXA Upgrade naar KadastraleKaart Pro
XZRzJalHxCQUpgrade naar KadastraleKaart Pro
pU5JHO5mql JmDaQZUpgrade naar KadastraleKaart Pro
z34Pgz9wtJdD4rNgWzgUpgrade naar KadastraleKaart Pro
XyzC1VpnRx Upgrade naar KadastraleKaart Pro
XzxT F8pv w4AAKg5tJEUmUpgrade naar KadastraleKaart Pro
Tw eFvX0 BUpgrade naar KadastraleKaart Pro
19/06/2012

Percelen
Gebruik de zoekbalk of klik op een perceel om informatie over het perceel te bekijken.