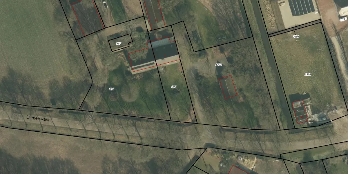
Perceel: ERP00-P-895
KadastraleKaart.com kan meer dan je denktOntdek meer ›
Filter op bestemming 50+ datasets Eigendomsdata in één klik Percelen CRM
770 m2 - 141 m
Eigenaar opvragen
ERP00-P-895 (Erp)
- 5469 PB
AwtYUJxeYMW5BNL5HMc0 OTUpgrade naar KadastraleKaart Pro
Bekijk op Street View
Download DWG/DXF/Excel
Zhoz Hs1Upgrade naar KadastraleKaart Pro
nC lzGjjVOmLsUpgrade naar KadastraleKaart Pro
yKZixJk0XsUpgrade naar KadastraleKaart Pro
ssD5P9WfuA1uVfLzqY Hd Upgrade naar KadastraleKaart Pro
xKwNWsI1AwvBTUKUpgrade naar KadastraleKaart Pro
DeAnxLFkKknd0hP3RMUpgrade naar KadastraleKaart Pro
TH rm Je CX2eE Upgrade naar KadastraleKaart Pro
m2n7s h1 CZxD2Upgrade naar KadastraleKaart Pro
ixnX11GFdFkUpgrade naar KadastraleKaart Pro
ItaGy1oQHE81KGWMg46Upgrade naar KadastraleKaart Pro
24/03/2005

Percelen
Gebruik de zoekbalk of klik op een perceel om informatie over het perceel te bekijken.