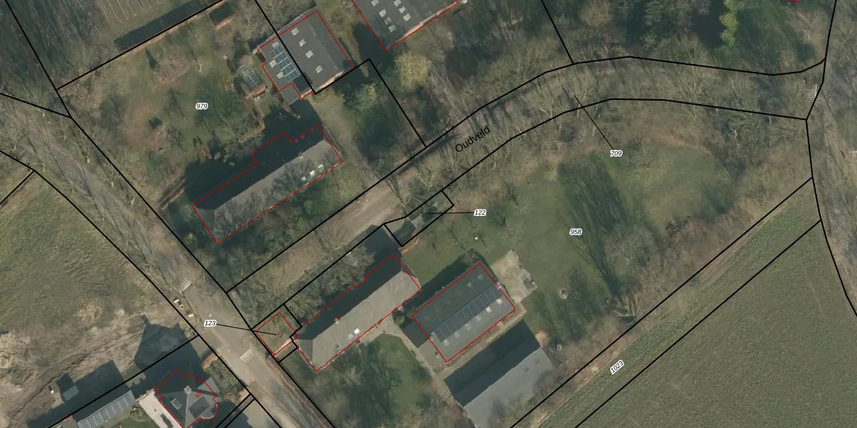
Perceel: ERP00-R-122
KadastraleKaart.com kan meer dan je denktOntdek meer ›
Filter op bestemming 50+ datasets Eigendomsdata in één klik Percelen CRM
Geen adressen bij dit perceel
80 m2 - 43 m
Eigenaar opvragen
ERP00-R-122 (Erp)
- Geen postcode aanwezig
cMs5m RmqJI83fq1C3wIi1 w6Upgrade naar KadastraleKaart Pro
Bekijk op Street View
Download DWG/DXF/Excel
pfII80ToDf Upgrade naar KadastraleKaart Pro
7BU T8SEyr35HupMUpgrade naar KadastraleKaart Pro
1GVt5bO1JbDVPpjHw7Upgrade naar KadastraleKaart Pro
ApiZ hM4 twbEo9M5IcUpgrade naar KadastraleKaart Pro
KKCAf8Jh 7EsXzVA42srro0Upgrade naar KadastraleKaart Pro
2 dYxzj3q3MYEemxNacEtHUpgrade naar KadastraleKaart Pro
I6H odl ANJc3pYqrg6Upgrade naar KadastraleKaart Pro
oEdvlgSGWZgfO 1h85xHqUpgrade naar KadastraleKaart Pro
EikR5for8Pe BAD ZCUpgrade naar KadastraleKaart Pro
tyPwEuHaUpgrade naar KadastraleKaart Pro
04/04/2005

Percelen
Gebruik de zoekbalk of klik op een perceel om informatie over het perceel te bekijken.