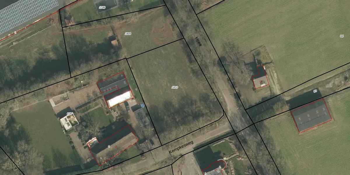
Perceel: ERP00-S-1810
Geen adressen bij dit perceel
1.965 m2 - 178 m
Eigenaar opvragen
ERP00-S-1810 (Erp)
- Geen postcode aanwezig
9BqQb8RjShiCaVWYsw2CqoK 5WsHUpgrade naar KadastraleKaart Pro
Bekijk op Street View
Download DWG/DXF/Excel
wYflsen3IUpgrade naar KadastraleKaart Pro
PbR6bZVLjX qcieKdmXJ2j5Upgrade naar KadastraleKaart Pro
GjPoOv0kfXu3Xjuzh7iUpgrade naar KadastraleKaart Pro
l0H ql HUpgrade naar KadastraleKaart Pro
t7nX Ss9qF6Upgrade naar KadastraleKaart Pro
ddiPSVZMm ykbUUpgrade naar KadastraleKaart Pro
F hG7qwjSvXMQvGUpgrade naar KadastraleKaart Pro
gJbDQJxML WLJb0s1itUpgrade naar KadastraleKaart Pro
xyXD FvPCFVz94n36Upgrade naar KadastraleKaart Pro
ENCY cmJSUpgrade naar KadastraleKaart Pro
18/03/2024

Percelen
Gebruik de zoekbalk of klik op een perceel om informatie over het perceel te bekijken.