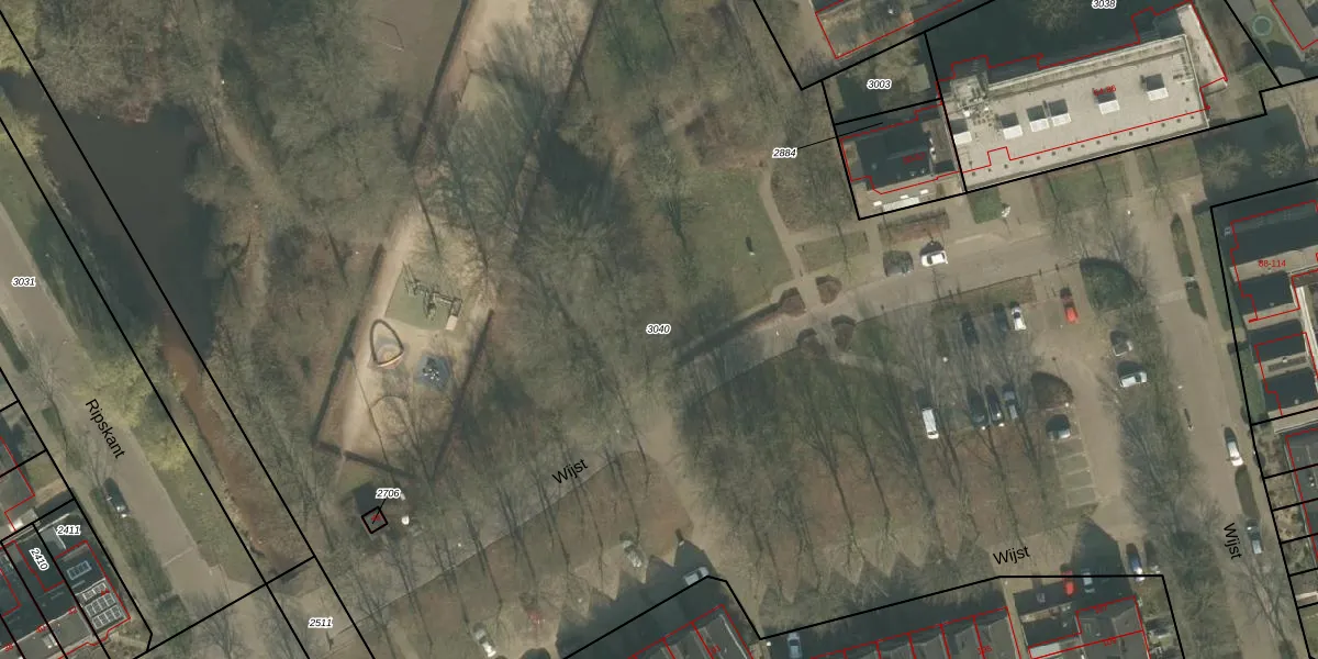
Perceel: GMT00-K-3040
Geen adressen bij dit perceel
25.033 m2 - 1.600 m
Eigenaar opvragen
GMT00-K-3040 (Gemert)
- Geen postcode aanwezig
P4NwS n6B 1 v Egu MUpgrade naar KadastraleKaart Pro
Bekijk op Street View
Download DWG/DXF/Excel
9rcbUOqzTanSom9Oh aUpgrade naar KadastraleKaart Pro
WTywqNL71K1aYwxG8Upgrade naar KadastraleKaart Pro
F6SCzV e rUpgrade naar KadastraleKaart Pro
3d8aF K7S hrypUpgrade naar KadastraleKaart Pro
PoF9UErui L0 K8Upgrade naar KadastraleKaart Pro
qDGByGl3ta 3LRLy7bx4cenUpgrade naar KadastraleKaart Pro
FShgqZC23tSl h2vUpgrade naar KadastraleKaart Pro
J6XVO7p6PvC2f9lq4sXgUpgrade naar KadastraleKaart Pro
I38Af K7U949NMvs Upgrade naar KadastraleKaart Pro
4b SSgG4H mIt9HXPS3YUpgrade naar KadastraleKaart Pro
09/09/2009

Percelen
Gebruik de zoekbalk of klik op een perceel om informatie over het perceel te bekijken.