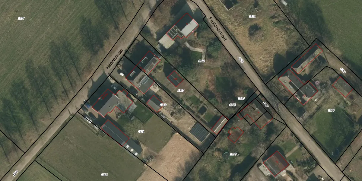
Perceel: GVE00-H-1367
KadastraleKaart.com kan meer dan je denktOntdek meer ›
Filter op bestemming 50+ datasets Eigendomsdata in één klik Percelen CRM
865 m2 - 163 m
Eigenaar opvragen
GVE00-H-1367 (Grave)
- 5363 TS
gWdW6y D 9molSJAWUpgrade naar KadastraleKaart Pro
Verkoopprijs opvragen
Bekijk op Street View
Download DWG/DXF/Excel
g gVtN5ig2Ts7PcnGvUpgrade naar KadastraleKaart Pro
IferFMzDtBUpgrade naar KadastraleKaart Pro
n5gI0k efAjhyMkvpUpgrade naar KadastraleKaart Pro
r9nFPUHfUpgrade naar KadastraleKaart Pro
u iPrMU87G58LJnG vUpgrade naar KadastraleKaart Pro
gbqZKMwlpUpgrade naar KadastraleKaart Pro
YaxgrQXBPDOWQ5vYjQ rUUpgrade naar KadastraleKaart Pro
AFIxhy3jkwcr3 e0I ZUpgrade naar KadastraleKaart Pro
cSvoUbZPSfdcW1liiM4Upgrade naar KadastraleKaart Pro
rPp5dUVdJzxArPc85RciUpgrade naar KadastraleKaart Pro
13/02/2007

Percelen
Gebruik de zoekbalk of klik op een perceel om informatie over het perceel te bekijken.