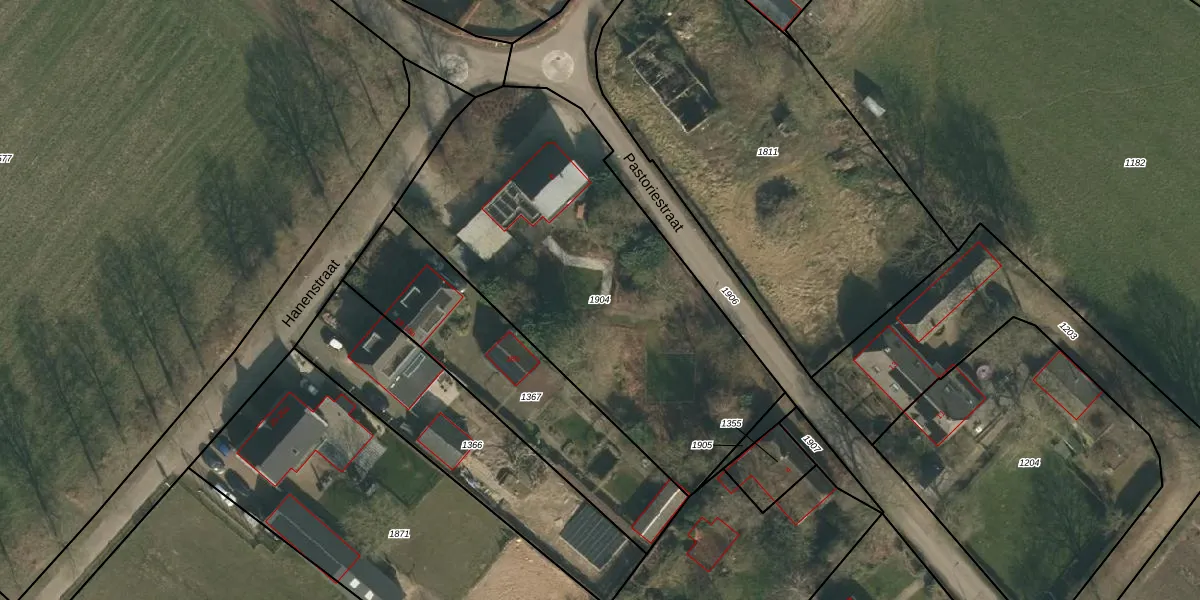
Perceel: GVE00-H-1904
KadastraleKaart.com kan meer dan je denktOntdek meer ›
Filter op bestemming 50+ datasets Eigendomsdata in één klik Percelen CRM
1.872 m2 - 195 m
Eigenaar opvragen
GVE00-H-1904 (Grave)
- 5363 TP
tUSzn7uXYX pPcVQ Pg eOUpgrade naar KadastraleKaart Pro
Bekijk op Street View
Download DWG/DXF/Excel
mQJZd jw QJvS lxiUpgrade naar KadastraleKaart Pro
Ao1cA7u PhH 2Th5255oMYyUpgrade naar KadastraleKaart Pro
TQBICtj0AS9akbQFUpgrade naar KadastraleKaart Pro
vfEUpNzv3BUrwWUpgrade naar KadastraleKaart Pro
5Xw uXZq82qD31IXHMUpgrade naar KadastraleKaart Pro
FfNwbSScTkh82Upgrade naar KadastraleKaart Pro
c7kq1ULKUpgrade naar KadastraleKaart Pro
pLAkGo XUCDe75NUpgrade naar KadastraleKaart Pro
DNC2UbzxIYLvrpZY3SUpgrade naar KadastraleKaart Pro
PEKeM gEUpgrade naar KadastraleKaart Pro
12/12/2025

Percelen
Gebruik de zoekbalk of klik op een perceel om informatie over het perceel te bekijken.