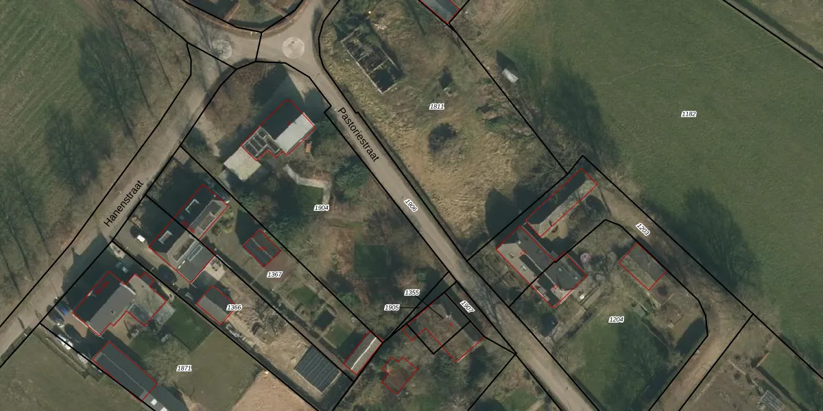
Perceel: GVE00-H-1906
KadastraleKaart.com kan meer dan je denktOntdek meer ›
Filter op bestemming 50+ datasets Eigendomsdata in één klik Percelen CRM
Geen adressen bij dit perceel
1.473 m2 - 430 m
Eigenaar opvragen
GVE00-H-1906 (Grave)
- Geen postcode aanwezig
0SAmUQINpu5FoiEKdkkQ3MUmeD8DjKtUpgrade naar KadastraleKaart Pro
Bekijk op Street View
Download DWG/DXF/Excel
L5H6G8jvj5EgSbW Upgrade naar KadastraleKaart Pro
luORYLjjcK9l4wlqHb2Q0vaUpgrade naar KadastraleKaart Pro
he8MEmLVH1Tl RUUpgrade naar KadastraleKaart Pro
V TMRHfCmUYT0wraUpgrade naar KadastraleKaart Pro
mhNi vr0 3kHiyUpgrade naar KadastraleKaart Pro
dn9j5CKLQ BidIkGUpgrade naar KadastraleKaart Pro
h9QreNtbpyIKrMcUpgrade naar KadastraleKaart Pro
pBmifRWxvqbwt44KUpgrade naar KadastraleKaart Pro
m15oP 0D1O1cB Cc25fUpgrade naar KadastraleKaart Pro
8 ABze mn9Upgrade naar KadastraleKaart Pro
12/12/2025

Percelen
Gebruik de zoekbalk of klik op een perceel om informatie over het perceel te bekijken.