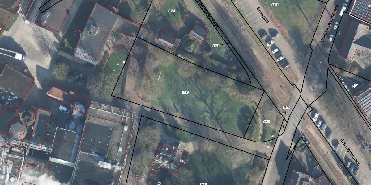
Perceel: HAL00-E-1890
KadastraleKaart.com kan meer dan je denktOntdek meer ›
Filter op bestemming 50+ datasets Eigendomsdata in één klik Percelen CRM
Geen adressen bij dit perceel
2.380 m2 - 212 m
Eigenaar opvragen
HAL00-E-1890 (Hall)
- Geen postcode aanwezig
OMihFas oe8zKF6kqydvQCJEEkBNsUpgrade naar KadastraleKaart Pro
Bekijk op Street View
Download DWG/DXF/Excel
S7M c18r6K16nlqA4OzUpgrade naar KadastraleKaart Pro
lN6sJXbeLXUpgrade naar KadastraleKaart Pro
lszQY9gIhGsW33RDMeUpgrade naar KadastraleKaart Pro
co FpVEQO24k aMrcdPUSfUpgrade naar KadastraleKaart Pro
T WyIXF6NaEcSMmV1wDfDUpgrade naar KadastraleKaart Pro
z HkXK40pUpgrade naar KadastraleKaart Pro
LVAPrR SUpgrade naar KadastraleKaart Pro
i sbrv09EUpgrade naar KadastraleKaart Pro
h9aG7QUzlA BKETctWnyUpgrade naar KadastraleKaart Pro
xd570od BMqMmKLzLfO31Upgrade naar KadastraleKaart Pro
05/03/2004

Percelen
Gebruik de zoekbalk of klik op een perceel om informatie over het perceel te bekijken.