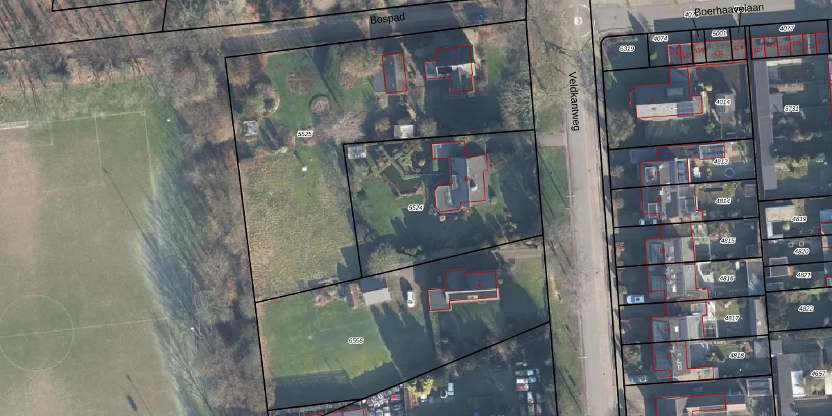
Perceel: HAL00-E-5524
KadastraleKaart.com kan meer dan je denktOntdek meer ›
Filter op bestemming 50+ datasets Eigendomsdata in één klik Percelen CRM
1.305 m2 - 149 m
Eigenaar opvragen
HAL00-E-5524 (Hall)
- 6961 HJ
niotF1cNoSf2r0hmdUpgrade naar KadastraleKaart Pro
Bekijk op Street View
Download DWG/DXF/Excel
AbUxuqunng7 Upgrade naar KadastraleKaart Pro
0iJ1VdHoCR5Upgrade naar KadastraleKaart Pro
6ELWrO9bG7Upgrade naar KadastraleKaart Pro
wPZWyOybqE9Gq3gLUUpgrade naar KadastraleKaart Pro
W4WgsT BcyqmUpgrade naar KadastraleKaart Pro
tx0z6XczI OUpgrade naar KadastraleKaart Pro
Pnxb kA2Ek8jUpgrade naar KadastraleKaart Pro
5JAcvuGtubWHLUpgrade naar KadastraleKaart Pro
dhLqd5MepAbNbDr29 mbD7Upgrade naar KadastraleKaart Pro
r7 whftAtrUpgrade naar KadastraleKaart Pro
16/04/2003

Percelen
Gebruik de zoekbalk of klik op een perceel om informatie over het perceel te bekijken.