
Veldkantweg 4-A is gelegen in de plaats Eerbeek, de gemeente Brummen en de provincie Gelderland. De oppervlakte bedraagt 193 m², waarmee het adres groter dan gemiddeld is. De grootte van het perceel waarop het adres ligt is 1305 m². In vergelijking met de andere adressen in de straat is de oppervlakte van dit object relatief groot. Het grootste verblijfsobject heeft een oppervlakte van 1049 m², de oppervlakte van het kleinste object bedraagt 20 m². Het pand waarin Veldkantweg 4-A ligt is gebouwd in het jaar 1985. Panden die gebouwd zijn na het jaar 1984 noemen we hier relatief nieuw. In de straat komt het nieuwste gebouw uit het jaar 2024 en het oudste uit 1929. Het bouwjaar van dit object is relatief oud. Het verblijfsobject heeft de volgende gebruiksdoelen: 'woonfunctie'.
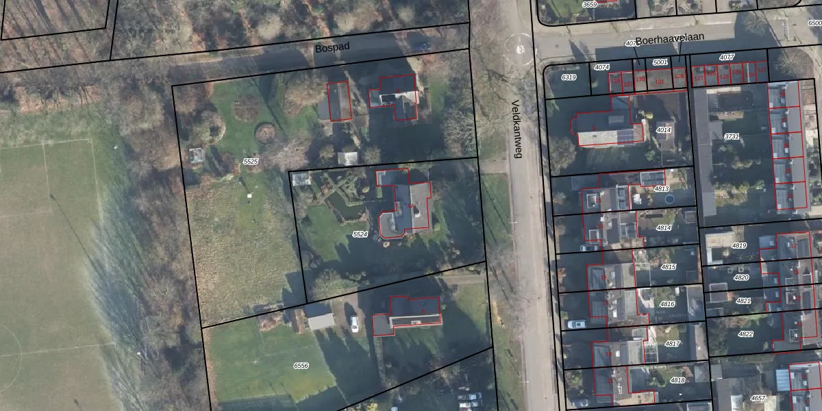
Het perceel waarop het adres ligt is HAL00-E-5524. De afkorting 'HAL00' staat voor kadastrale gemeente Hall. Het perceel is kleiner dan gemiddeld in Hall. Het perceel is 1305 m² groot, terwijl het gemiddelde ligt op 2815,1 m². Het kleinste perceel in de kadastrale gemeente is 0 m² groot. De grootste perceeloppervlakte is 77,7 ha. Er zijn geen andere adressen aanwezig op het perceel. De laatste wijziging in het de Basisregistratie Kadaster (BRK) was op 16-04-2003.
Er is geen energielabel geregistreerd voor het adres. Het hoogste energielabel in de straat is A+++; het laagste is G. Het gemiddelde energielabel is er A+. Het adres Veldkantweg 4-A heeft als status: 'verblijfsobject in gebruik'. Het pand waarin dit adres ligt heeft als status: 'pand in gebruik'.
Veldkantweg 4-A is een adres gelegen in de gemeente Brummen, provincie Gelderland. Dit adres is geregistreerd in de Basisregistratie Adressen en Gebouwen (BAG) met als unieke identificatie 0213010000009431.
Het pand op Veldkantweg 4-A is gebouwd in 1985, wat betekent dat het 41 jaar oud is. Dit is een pand van middelbare leeftijd. Het pand is van gemiddelde leeftijd en zal waarschijnlijk verouderde elementen bevatten.
De woning op Veldkantweg 4-A heeft een gebruiksoppervlakte van 193 m². Dit is ruim vergeleken met de gemiddelde Nederlandse woning, die een oppervlakte heeft van ongeveer 119 m². De gebruiksoppervlakte is de maat die wordt gebruikt in de BAG-registratie, de landelijke registratie van de Nederlandse overheid.
Veldkantweg 4-A heeft als functie: wonen. Deze gebruiksfunctie(s) zijn vastgelegd in de BAG-registratie en geven aan waarvoor het adres officieel mag worden gebruikt.
Veldkantweg 4-A is gelegen op kadastraal perceel HAL00E5524. Deze kadastrale aanduiding is uniek en wordt gebruikt door het Kadaster om eigendomsrechten en andere zakelijke rechten vast te leggen. Het perceel maakt onderdeel uit van de kadastrale gemeente Hall.
Het perceel waarop Veldkantweg 4-A staat heeft een oppervlakte van 1305 m². Dit is een zeer groot perceel. De perceeloppervlakte wordt geregistreerd door het Kadaster. Gedetailleerde informatie over de maten van dit perceel kunt u vinden in het rapport Kadastrale kaart met maatvoering van Veldkantweg 4-A.
De eigenaar van Veldkantweg 4-A is op te vragen op deze pagina.
De informatie over dit adres is afkomstig uit officiële overheidsregistraties, voornamelijk de Basisregistratie Adressen en Gebouwen (BAG) en de Basisregistratie Kadaster (BRK). Deze gegevens worden beheerd door respectievelijk gemeenten en het Kadaster, en worden regelmatig bijgewerkt. Energielabelgegevens komen uit de database van de Rijksdienst voor Ondernemend Nederland (RVO).
