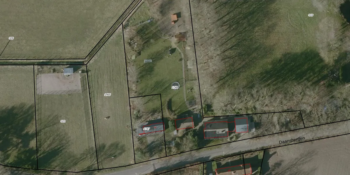
Perceel: HSR00-I-1748
KadastraleKaart.com kan meer dan je denktOntdek meer ›
Filter op bestemming 50+ datasets Eigendomsdata in één klik Percelen CRM
4.082 m2 - 394 m
Eigenaar opvragen
HSR00-I-1748 (Halsteren)
- 4661 RE
qoG2Tv8A2wzImHp2AgE3DG1Ff7SeUpgrade naar KadastraleKaart Pro
Verkoopprijs opvragen
Bekijk op Street View
Download DWG/DXF/Excel
EvNlS AfNtQ4R vagUpgrade naar KadastraleKaart Pro
W5ELT1m7ZT Upgrade naar KadastraleKaart Pro
Rwz Fte5H7oJ HHHhaPWUpgrade naar KadastraleKaart Pro
Trio1tqsZJMbFxw8N Upgrade naar KadastraleKaart Pro
B llSW4TT42sBaqLEL8Upgrade naar KadastraleKaart Pro
2W67 MNPtFFVW30c0dQUpgrade naar KadastraleKaart Pro
rKP2O f749MXp9a B YwSkUpgrade naar KadastraleKaart Pro
L68m BbzUpgrade naar KadastraleKaart Pro
N sVBPX0i1bZXtdHlFV0Upgrade naar KadastraleKaart Pro
HowWld lyj0K5IjqYqur IUpgrade naar KadastraleKaart Pro
20/12/2021

Percelen
Gebruik de zoekbalk of klik op een perceel om informatie over het perceel te bekijken.