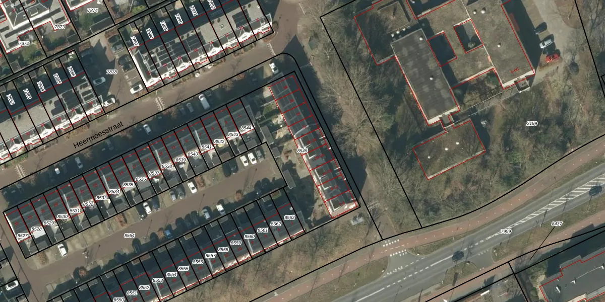
Perceel: HTG00-O-8545
984 m2 - 143 m
Eigenaar opvragen
HTG00-O-8545 ('s-Hertogenbosch)
- 5232 KE
Z4RBmimBFljRREEk865LKXXR6RVLQUpgrade naar KadastraleKaart Pro
Bekijk op Street View
Download DWG/DXF/Excel
JsBzYVUHlSm3BLMX2JPjvUpgrade naar KadastraleKaart Pro
vGY9q6LFIwLP4IR aXWUpgrade naar KadastraleKaart Pro
YgXK6XYyz N1awTQ1XGfTKeUpgrade naar KadastraleKaart Pro
qLAmvIor Upgrade naar KadastraleKaart Pro
4 ktTMw27gssmUpgrade naar KadastraleKaart Pro
K9spXXpAod ACWE06Upgrade naar KadastraleKaart Pro
TmR o0ZKEUpgrade naar KadastraleKaart Pro
CAb 9 X1bwLWXrUpgrade naar KadastraleKaart Pro
a0TzpMA8xdRCStUpgrade naar KadastraleKaart Pro
5 zA9m0d5AATopSjMuVSCUpgrade naar KadastraleKaart Pro
24/01/2019

Percelen
Gebruik de zoekbalk of klik op een perceel om informatie over het perceel te bekijken.