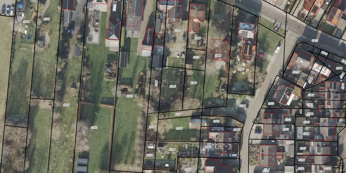
Perceel: HTM00-AD-2145
KadastraleKaart.com kan meer dan je denktOntdek meer ›
Filter op bestemming 50+ datasets Eigendomsdata in één klik Percelen CRM
Geen adressen bij dit perceel
345 m2 - 79 m
Eigenaar opvragen
HTM00-AD-2145 (Hattem)
- Geen postcode aanwezig
U7Dgrz i4Vs3wEjTzaQ BXjRUpgrade naar KadastraleKaart Pro
Bekijk op Street View
Download DWG/DXF/Excel
Zc3FDwfRKKiUpgrade naar KadastraleKaart Pro
ioxvknXXXAOtkZ3dL6f1a1Upgrade naar KadastraleKaart Pro
Pm p60mxm3S jyOsUpgrade naar KadastraleKaart Pro
dSrDPIkpo gFoUzZSTE9SD0Upgrade naar KadastraleKaart Pro
mLMVuuEOjbpfUpgrade naar KadastraleKaart Pro
CIOQEdH8Uows8O4CofgCUpgrade naar KadastraleKaart Pro
qBbwst3 96QvUpgrade naar KadastraleKaart Pro
5E7eCXWv4LsTwV8F4jwicnSUpgrade naar KadastraleKaart Pro
sam3oqSWOwiGdNUpgrade naar KadastraleKaart Pro
BoNH1t nIUpgrade naar KadastraleKaart Pro
01/02/2007

Percelen
Gebruik de zoekbalk of klik op een perceel om informatie over het perceel te bekijken.