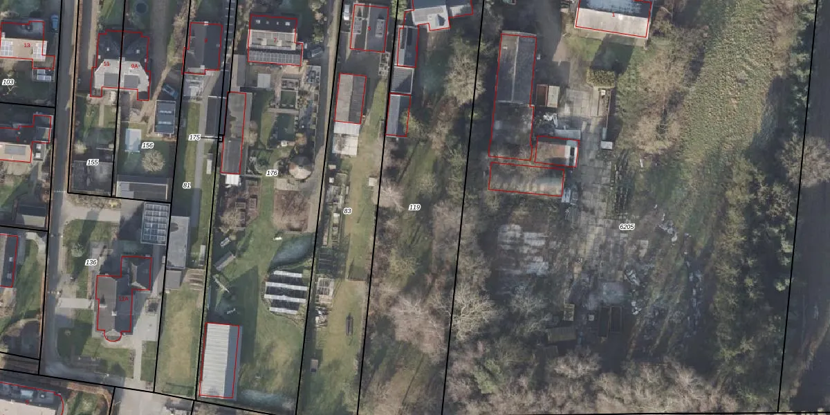
Perceel: HTM00-H-119
KadastraleKaart.com kan meer dan je denktOntdek meer ›
Filter op bestemming 50+ datasets Eigendomsdata in één klik Percelen CRM
2.351 m2 - 271 m
Eigenaar opvragen
HTM00-H-119 (Hattem)
- 8051 PT
33 AglLQVqRkeJtGP6fmRUpgrade naar KadastraleKaart Pro
Verkoopprijs opvragen
Bekijk op Street View
Download DWG/DXF/Excel
E4K bSF1QoV xSUpgrade naar KadastraleKaart Pro
Vp9xk5Jx5Upgrade naar KadastraleKaart Pro
wZU3PX8GVPcNJ7kj9zGSAkUpgrade naar KadastraleKaart Pro
0RS8Iqys7Upgrade naar KadastraleKaart Pro
u84QPvBAcZUpgrade naar KadastraleKaart Pro
MyRDHD9Ez gUpgrade naar KadastraleKaart Pro
TFsBr3jkUpgrade naar KadastraleKaart Pro
7ymGfXA6zUpgrade naar KadastraleKaart Pro
InLCu rv gYZQsRUpgrade naar KadastraleKaart Pro
6Xt5vr UwJIZKrUpgrade naar KadastraleKaart Pro
28/11/2001

Percelen
Gebruik de zoekbalk of klik op een perceel om informatie over het perceel te bekijken.