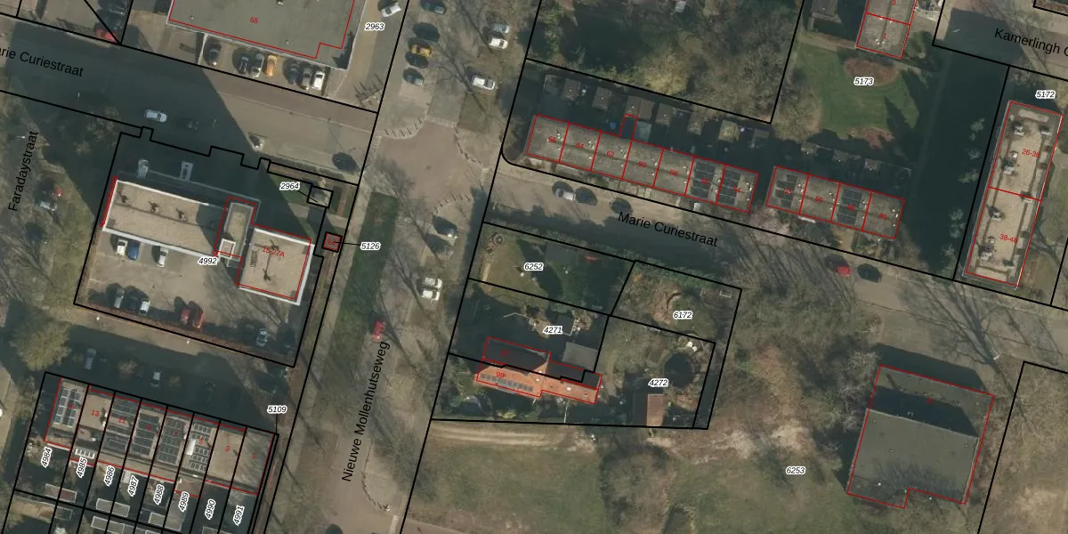
Perceel: HTT02-L-6252
Geen adressen bij dit perceel
310 m2 - 79 m
Eigenaar opvragen
HTT02-L-6252 (Hatert)
- Geen postcode aanwezig
rL PGcOEZwr 7Y5sqDg1L4YOuUpgrade naar KadastraleKaart Pro
Bekijk op Street View
Download DWG/DXF/Excel
2lR3h 96r th6bzeUpgrade naar KadastraleKaart Pro
kCyEg1lzwQj2quE5 FMNxuUpgrade naar KadastraleKaart Pro
FpzRf SkFwq3Upgrade naar KadastraleKaart Pro
zbAcJCLq9Q1ebs 5Upgrade naar KadastraleKaart Pro
nEB2KErGnVCPnWPDQLUpgrade naar KadastraleKaart Pro
Nog m64qZtyZ mUpgrade naar KadastraleKaart Pro
PlRU3erLN4Upgrade naar KadastraleKaart Pro
y1M1dnZr 9 VQP 8 n19ezUpgrade naar KadastraleKaart Pro
vC3hhVexS Upgrade naar KadastraleKaart Pro
hEM mqVcrv y84RUpgrade naar KadastraleKaart Pro
29/06/2023

Percelen
Gebruik de zoekbalk of klik op een perceel om informatie over het perceel te bekijken.