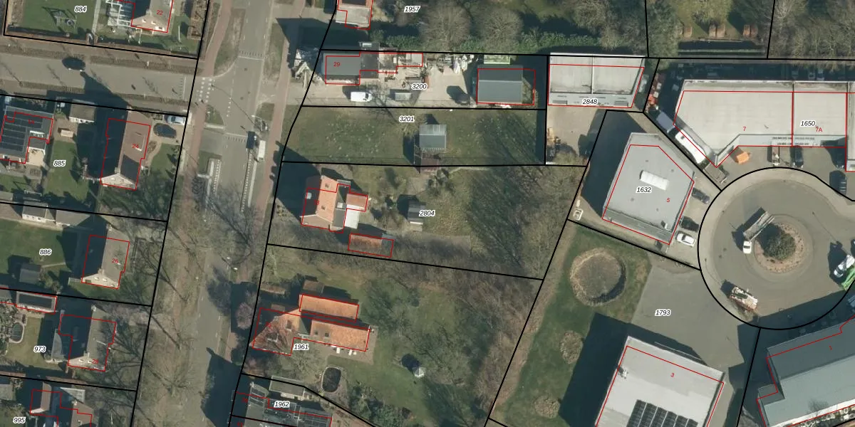
Perceel: HVR00-P-2804
1.615 m2 - 185 m
Eigenaar opvragen
HVR00-P-2804 (Hilvarenbeek)
- 5085 EA
6VpIyVFhBrnBfUAqE fB4Upgrade naar KadastraleKaart Pro
Bekijk op Street View
Download DWG/DXF/Excel
hQ AGfIfcXqDWVbsUpgrade naar KadastraleKaart Pro
5KN H e2I tJs2l nNeUpgrade naar KadastraleKaart Pro
MPd AVWVJiUpgrade naar KadastraleKaart Pro
XAs3tFrFwA2OeUpgrade naar KadastraleKaart Pro
PdVYM6k9VHUpgrade naar KadastraleKaart Pro
QOsYgztNZnqgmBkv7VJUpgrade naar KadastraleKaart Pro
Tbd bjS6j2Upgrade naar KadastraleKaart Pro
zpKq95uVzVznT4t LLSyuUpgrade naar KadastraleKaart Pro
AROWE9RRUpgrade naar KadastraleKaart Pro
f Dv i3CUpgrade naar KadastraleKaart Pro
08/07/2019

Percelen
Gebruik de zoekbalk of klik op een perceel om informatie over het perceel te bekijken.