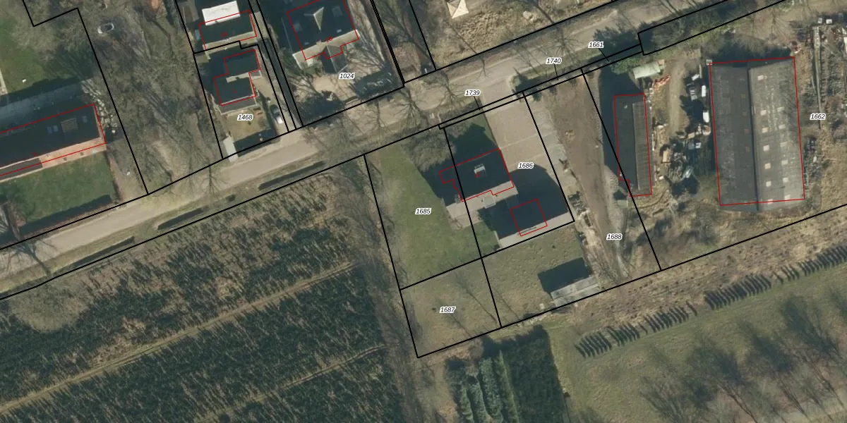
Perceel: HVR00-Q-1685
Geen adressen bij dit perceel
670 m2 - 107 m
Eigenaar opvragen
HVR00-Q-1685 (Hilvarenbeek)
- Geen postcode aanwezig
XsRAiTlvr vXld2EgKljtKyUpgrade naar KadastraleKaart Pro
Bekijk op Street View
Download DWG/DXF/Excel
CoKM8VfLUpgrade naar KadastraleKaart Pro
yWWJ6cOh q 0Z0ZgRIUpgrade naar KadastraleKaart Pro
hW bWayDcOf H2Upgrade naar KadastraleKaart Pro
IR8xOZQXfdpsnFgZMjModopUpgrade naar KadastraleKaart Pro
tR 5PmTON9l4m13TAjXp rBUpgrade naar KadastraleKaart Pro
hBrsFh41LdxbDCMYeaKBKSUpgrade naar KadastraleKaart Pro
o dqhJHdcQX6sdiJfuZWOUpgrade naar KadastraleKaart Pro
WDEUikPGJXlEUpgrade naar KadastraleKaart Pro
27w 9jv7WBm1H1pZUpgrade naar KadastraleKaart Pro
SSi0g0PpoW cUsUpgrade naar KadastraleKaart Pro
02/06/2021

Percelen
Gebruik de zoekbalk of klik op een perceel om informatie over het perceel te bekijken.