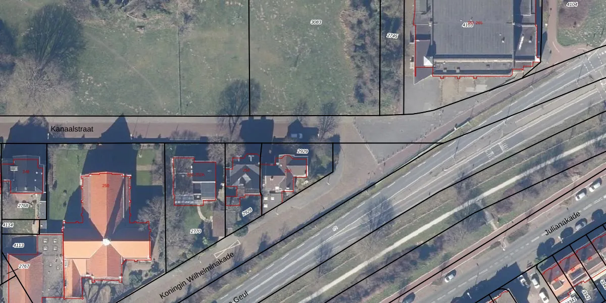
Perceel: IMD00-I-2929
KadastraleKaart.com kan meer dan je denktOntdek meer ›
Filter op bestemming 50+ datasets Eigendomsdata in één klik Percelen CRM
412 m2 - 85 m
Eigenaar opvragen
IMD00-I-2929 (IJmuiden)
- 1975 BK
6N3jj5uCc3TmyM iuHpmPH Upgrade naar KadastraleKaart Pro
Verkoopprijs opvragen
Bekijk op Street View
Download DWG/DXF/Excel
rKTkP 3qRnUpgrade naar KadastraleKaart Pro
7t CRVFO hj ECYxUpgrade naar KadastraleKaart Pro
tztu5AYLi2xiA92Upgrade naar KadastraleKaart Pro
jjsp 5eVTkUpgrade naar KadastraleKaart Pro
G i GR j3g0R59iAphUpgrade naar KadastraleKaart Pro
MnSkr6 HmZ KrHUpgrade naar KadastraleKaart Pro
gknkUCKm8T D RHlmeUpgrade naar KadastraleKaart Pro
2yyt3vU4a36O1NdZL QUpgrade naar KadastraleKaart Pro
gtWUB8JxLe3gJUpgrade naar KadastraleKaart Pro
hjF9mImScNZ uj6G x6 Upgrade naar KadastraleKaart Pro
15/09/2000

Percelen
Gebruik de zoekbalk of klik op een perceel om informatie over het perceel te bekijken.