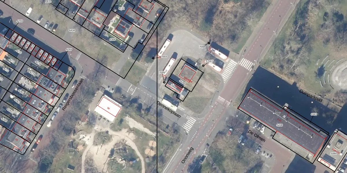
Perceel: IMD00-L-7006
KadastraleKaart.com kan meer dan je denktOntdek meer ›
Filter op bestemming 50+ datasets Eigendomsdata in één klik Percelen CRM
72 m2 - 41 m
Eigenaar opvragen
IMD00-L-7006 (IJmuiden)
- 1974 VC
vMk BgO8EB19xXxYUpgrade naar KadastraleKaart Pro
Bekijk op Street View
Download DWG/DXF/Excel
jhz9EHbUeBR W9Upgrade naar KadastraleKaart Pro
Mg4hUgJjW 9GUUpgrade naar KadastraleKaart Pro
sURbnad4LUpgrade naar KadastraleKaart Pro
NcvvR7YIu7 Upgrade naar KadastraleKaart Pro
7qMja68CpGUpgrade naar KadastraleKaart Pro
aPqi2xBsry6J1x s EUpgrade naar KadastraleKaart Pro
jd R2pvXm5sS5SZUpgrade naar KadastraleKaart Pro
bsUm3bTmGvkRaXI0JC6KlUpgrade naar KadastraleKaart Pro
WP7 GWU9NVPa6DmaEEUpgrade naar KadastraleKaart Pro
Gip6LuxOAAKW EywxUpgrade naar KadastraleKaart Pro
12/04/2023

Percelen
Gebruik de zoekbalk of klik op een perceel om informatie over het perceel te bekijken.