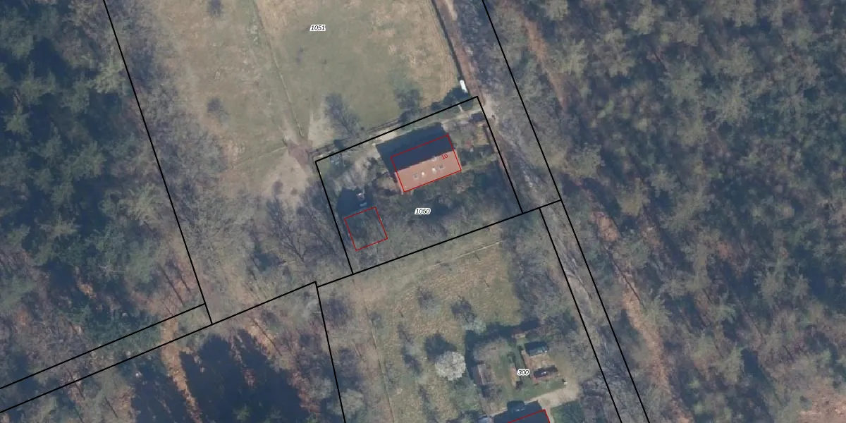
Perceel: LDN02-B-1050
KadastraleKaart.com kan meer dan je denktOntdek meer ›
Filter op bestemming 50+ datasets Eigendomsdata in één klik Percelen CRM
1.235 m2 - 142 m
Eigenaar opvragen
LDN02-B-1050 (Leusden)
- 3832 GT
4cujAfMwssfZ 67Upgrade naar KadastraleKaart Pro
Bekijk op Street View
Download DWG/DXF/Excel
hn44PXqzUpgrade naar KadastraleKaart Pro
d6c4pPrTF4Fd1Upgrade naar KadastraleKaart Pro
jgjWD Wi yDJhe7Upgrade naar KadastraleKaart Pro
rfCMdAVuyqH8BdCnXbTUpgrade naar KadastraleKaart Pro
QN7FP KFI aOWNKUpgrade naar KadastraleKaart Pro
Lr4HxXIlVUpgrade naar KadastraleKaart Pro
5vOiYpdYSUpgrade naar KadastraleKaart Pro
eGR pDi7eisEe qQUpgrade naar KadastraleKaart Pro
lP88RfpIqb2x5Xrk Upgrade naar KadastraleKaart Pro
LxOx7qVei5zTZNrMr7XUpgrade naar KadastraleKaart Pro
19/09/1997

Percelen
Gebruik de zoekbalk of klik op een perceel om informatie over het perceel te bekijken.