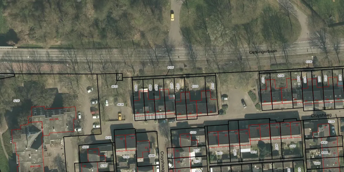
Perceel: MTT00-P-6101
KadastraleKaart.com kan meer dan je denktOntdek meer ›
Filter op bestemming 50+ datasets Eigendomsdata in één klik Percelen CRM
143 m2 - 59 m
Eigenaar opvragen
MTT00-P-6101 (Maastricht)
- 6228 EJ
OUIPL62 JCo0UCIp bQUpgrade naar KadastraleKaart Pro
Verkoopprijs opvragen
Bekijk op Street View
Download DWG/DXF/Excel
X3mAwc EUpgrade naar KadastraleKaart Pro
91ZdXL4GyQcuUpgrade naar KadastraleKaart Pro
8SZscMK LX3z Upgrade naar KadastraleKaart Pro
FmsS1rPZ4aEfzXMjrY0wUpgrade naar KadastraleKaart Pro
GeEYz1 giUcokeAUpgrade naar KadastraleKaart Pro
PSDK Ha3jMR89zZmIs0NUpgrade naar KadastraleKaart Pro
y2Q0fvoOoDSblLE7Upgrade naar KadastraleKaart Pro
E JEf cjGTr4mUpgrade naar KadastraleKaart Pro
dxnDNh9FPhUpgrade naar KadastraleKaart Pro
xtH W8No3i ALkRVgMUpgrade naar KadastraleKaart Pro
11/01/2006

Percelen
Gebruik de zoekbalk of klik op een perceel om informatie over het perceel te bekijken.