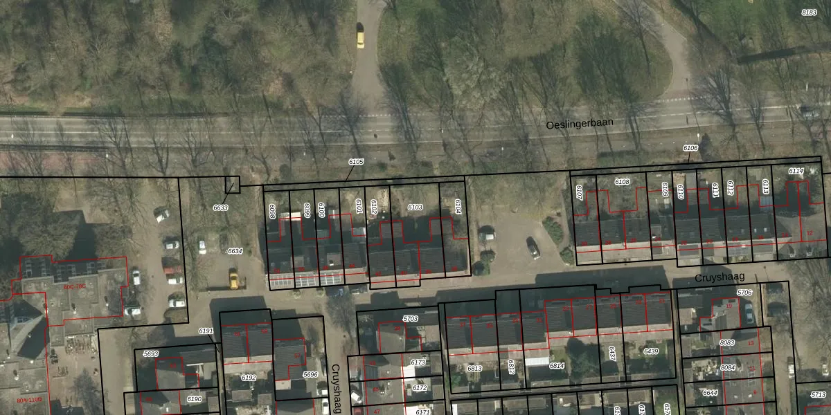
Perceel: MTT00-P-6103
KadastraleKaart.com kan meer dan je denktOntdek meer ›
Filter op bestemming 50+ datasets Eigendomsdata in één klik Percelen CRM
286 m2 - 73 m
Eigenaar opvragen
MTT00-P-6103 (Maastricht)
- 6228 EJ
qIJo6EWQD9tlwLqM ZUpgrade naar KadastraleKaart Pro
Bekijk op Street View
Download DWG/DXF/Excel
niaHGKeKlsr qCWNQEX rUpgrade naar KadastraleKaart Pro
rMAG SVljAaTkqUpgrade naar KadastraleKaart Pro
EI3hvcYYjL4q gnnCYPUpgrade naar KadastraleKaart Pro
KyHyXx7KSns TDMF kUpgrade naar KadastraleKaart Pro
xSAw9V y rRCUpgrade naar KadastraleKaart Pro
D5LxgI5i nD2Upgrade naar KadastraleKaart Pro
dwKikdnBaSeHbfUpgrade naar KadastraleKaart Pro
zDYR N7GBKtfROjt Upgrade naar KadastraleKaart Pro
9qp LFxGVn UorUOc9RAGsUpgrade naar KadastraleKaart Pro
QcRiV a5Ej 1kSUpgrade naar KadastraleKaart Pro
11/01/2006

Percelen
Gebruik de zoekbalk of klik op een perceel om informatie over het perceel te bekijken.