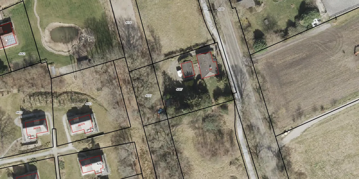
Perceel: ODN00-B-4087
KadastraleKaart.com kan meer dan je denktOntdek meer ›
Filter op bestemming 50+ datasets Eigendomsdata in één klik Percelen CRM
1.412 m2 - 142 m
Eigenaar opvragen
ODN00-B-4087 (Odoorn)
- 7875 TB
rQ om1qfn3Rk de0 4J dJOv 2VeB8Upgrade naar KadastraleKaart Pro
Bekijk op Street View
Download DWG/DXF/Excel
GANXjAAtwA4FskbJUpgrade naar KadastraleKaart Pro
0u 11nkaQkXQFf5WE 2zAQUpgrade naar KadastraleKaart Pro
437J MuL mRphUpgrade naar KadastraleKaart Pro
LQyky H3Upgrade naar KadastraleKaart Pro
p9DPVj B62Upgrade naar KadastraleKaart Pro
MCkqDR3D Upgrade naar KadastraleKaart Pro
PD lS6ddyPE IACbU5jJUpgrade naar KadastraleKaart Pro
SdLlFzuq08Upgrade naar KadastraleKaart Pro
6HW yJluXSArekiesUpgrade naar KadastraleKaart Pro
fXzHTNNmdDyCMpci5fUpgrade naar KadastraleKaart Pro
07/04/2004

Percelen
Gebruik de zoekbalk of klik op een perceel om informatie over het perceel te bekijken.