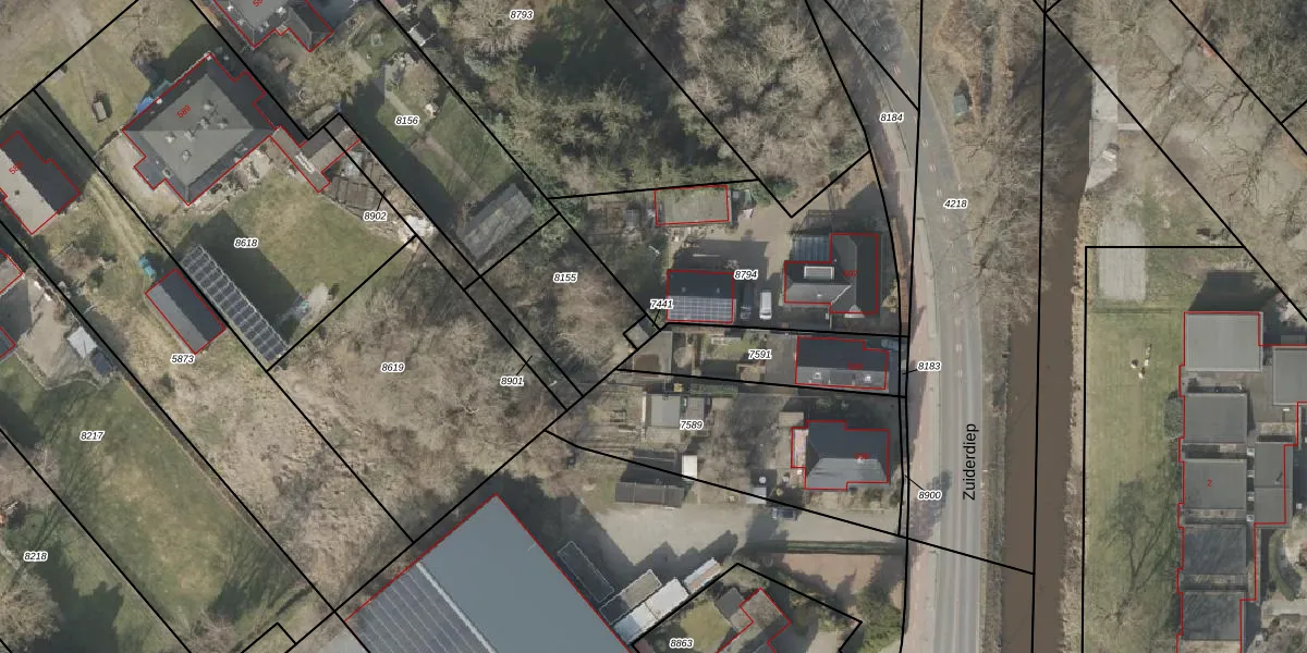
Perceel: ODN00-E-7441
KadastraleKaart.com kan meer dan je denktOntdek meer ›
Filter op bestemming 50+ datasets Eigendomsdata in één klik Percelen CRM
Geen adressen bij dit perceel
16 m2 - 16 m
Eigenaar opvragen
ODN00-E-7441 (Odoorn)
- Geen postcode aanwezig
A9I tda8g ATxJZp LUpgrade naar KadastraleKaart Pro
Bekijk op Street View
Download DWG/DXF/Excel
vuRXd FoVbtmU U c2xV Upgrade naar KadastraleKaart Pro
fB4XE mEKUpgrade naar KadastraleKaart Pro
VzxMj6w zs 7 fSJNJUpgrade naar KadastraleKaart Pro
gMc pViGGvpIHjD t2Upgrade naar KadastraleKaart Pro
aoLl1nkD1 eVFsFqisAdUpgrade naar KadastraleKaart Pro
oVz2uLvDKykUM1j4WxUpgrade naar KadastraleKaart Pro
r2YC5Pl9bhdHS B2LRAUpgrade naar KadastraleKaart Pro
egpKAmghwViAWo 9Upgrade naar KadastraleKaart Pro
ZB18u5yg9 JHSEalHy Upgrade naar KadastraleKaart Pro
9mwvcWFnvrQVc2ktRSUpgrade naar KadastraleKaart Pro
23/11/2005

Percelen
Gebruik de zoekbalk of klik op een perceel om informatie over het perceel te bekijken.