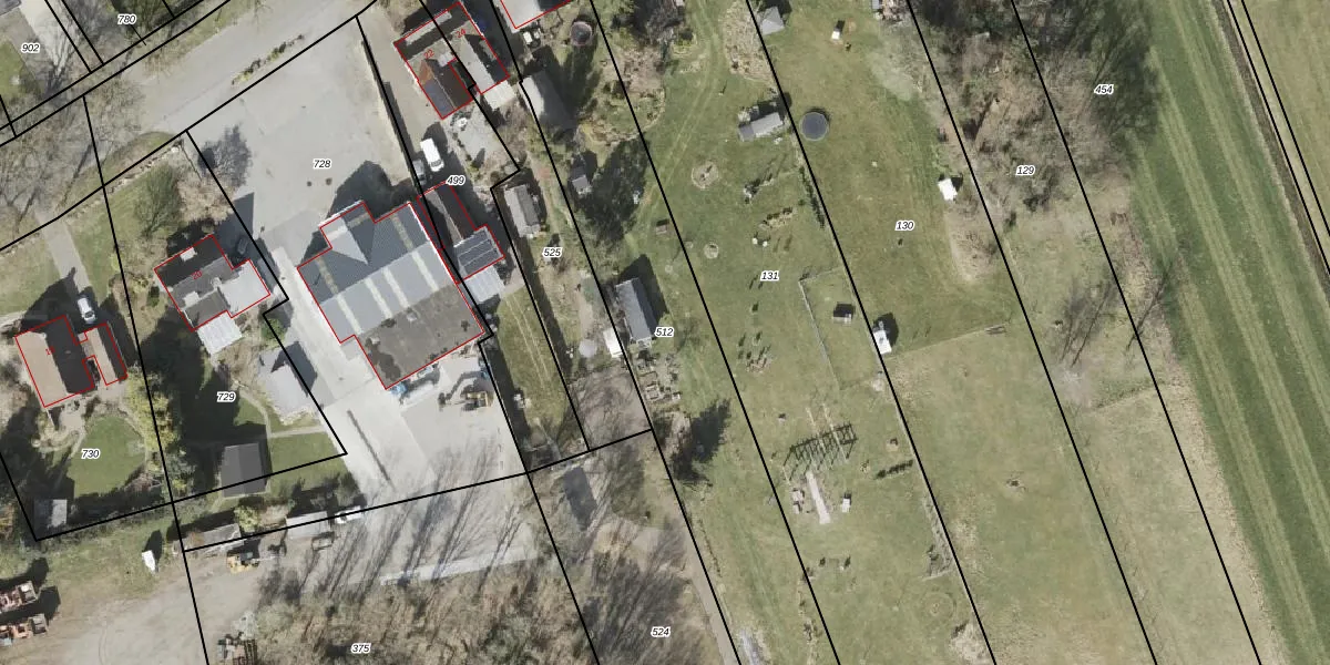
Perceel: ODN00-H-512
KadastraleKaart.com kan meer dan je denktOntdek meer ›
Filter op bestemming 50+ datasets Eigendomsdata in één klik Percelen CRM
2.031 m2 - 319 m
Eigenaar opvragen
ODN00-H-512 (Odoorn)
- 7872 PK
RR74t3jJM ojf8Xbc09oLb3GoOYZnGUpgrade naar KadastraleKaart Pro
Verkoopprijs opvragen
Bekijk op Street View
Download DWG/DXF/Excel
hwA7uTHTUpgrade naar KadastraleKaart Pro
f7msdRuaKm6 WuUpgrade naar KadastraleKaart Pro
pMDorQt3DWwKJ2nCUpgrade naar KadastraleKaart Pro
V wdQlIPKIqvVAM Upgrade naar KadastraleKaart Pro
t0NkeeAQD0 6tUpgrade naar KadastraleKaart Pro
yMgPwKrDI6uGcXrFoaciXUpgrade naar KadastraleKaart Pro
Z0OO2qpSonBk Upgrade naar KadastraleKaart Pro
pA CSX LnBkSxDl Upgrade naar KadastraleKaart Pro
M547R9Sj0XGz yUpgrade naar KadastraleKaart Pro
gTZuKyKgcfJj7DBUpgrade naar KadastraleKaart Pro
25/03/2009

Percelen
Gebruik de zoekbalk of klik op een perceel om informatie over het perceel te bekijken.