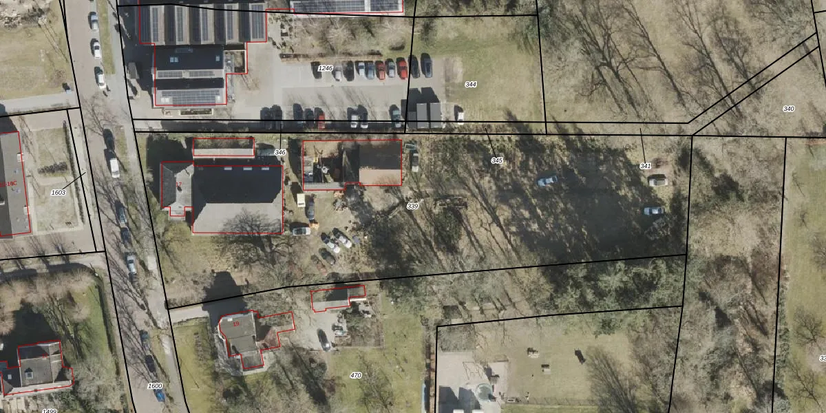
Perceel: ODN00-I-339
KadastraleKaart.com kan meer dan je denktOntdek meer ›
Filter op bestemming 50+ datasets Eigendomsdata in één klik Percelen CRM
4.550 m2 - 334 m
Eigenaar opvragen
ODN00-I-339 (Odoorn)
- 7875 BW
Ihcwqc20 LdN vdiPfHmj Ior Upgrade naar KadastraleKaart Pro
Verkoopprijs opvragen
Bekijk op Street View
Download DWG/DXF/Excel
TQL5FErv hrmUpgrade naar KadastraleKaart Pro
eOFslgfI 3B1VW0Upgrade naar KadastraleKaart Pro
2274fYhBLSk3uVUpgrade naar KadastraleKaart Pro
o0pKDFg DcZfOjGYjzqcKUpgrade naar KadastraleKaart Pro
HP9kA3 B90 q0v2YIsv hUpgrade naar KadastraleKaart Pro
6 5Ta6Xl PAUpgrade naar KadastraleKaart Pro
O4xsoMdskR3h6VfDIKWcHqUpgrade naar KadastraleKaart Pro
y4 wb3XkSzDJX urHSgoIbVUpgrade naar KadastraleKaart Pro
Clo8C21kcqGUpgrade naar KadastraleKaart Pro
E 636q564Nou3IMlcrmcg4Upgrade naar KadastraleKaart Pro
04/02/2000

Percelen
Gebruik de zoekbalk of klik op een perceel om informatie over het perceel te bekijken.