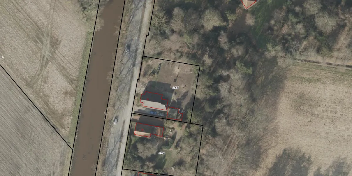
Perceel: ODN00-M-2400
KadastraleKaart.com kan meer dan je denktOntdek meer ›
Filter op bestemming 50+ datasets Eigendomsdata in één klik Percelen CRM
1.102 m2 - 133 m
Eigenaar opvragen
ODN00-M-2400 (Odoorn)
- 7876 TE
msPrZHpxw4KGrA RxAl4XUpgrade naar KadastraleKaart Pro
Verkoopprijs opvragen
Bekijk op Street View
Download DWG/DXF/Excel
3kTUAETgA xGCmCtiQmUpgrade naar KadastraleKaart Pro
YNrNA3 iQeUpgrade naar KadastraleKaart Pro
koouRpHW KOE 8rUpgrade naar KadastraleKaart Pro
Cf wJ CAz5Upgrade naar KadastraleKaart Pro
3ydVYSuAnn NeVaPUpgrade naar KadastraleKaart Pro
3RWQa4go053 AUpgrade naar KadastraleKaart Pro
k2UpKzeS93INg APdnt3UNUpgrade naar KadastraleKaart Pro
MJ7o IhV fy ru5SJYkN9sUpgrade naar KadastraleKaart Pro
d4loJmQZ0LPJwmCYPUpgrade naar KadastraleKaart Pro
8hrG0PKHc9 xEUpgrade naar KadastraleKaart Pro
29/07/1998

Percelen
Gebruik de zoekbalk of klik op een perceel om informatie over het perceel te bekijken.