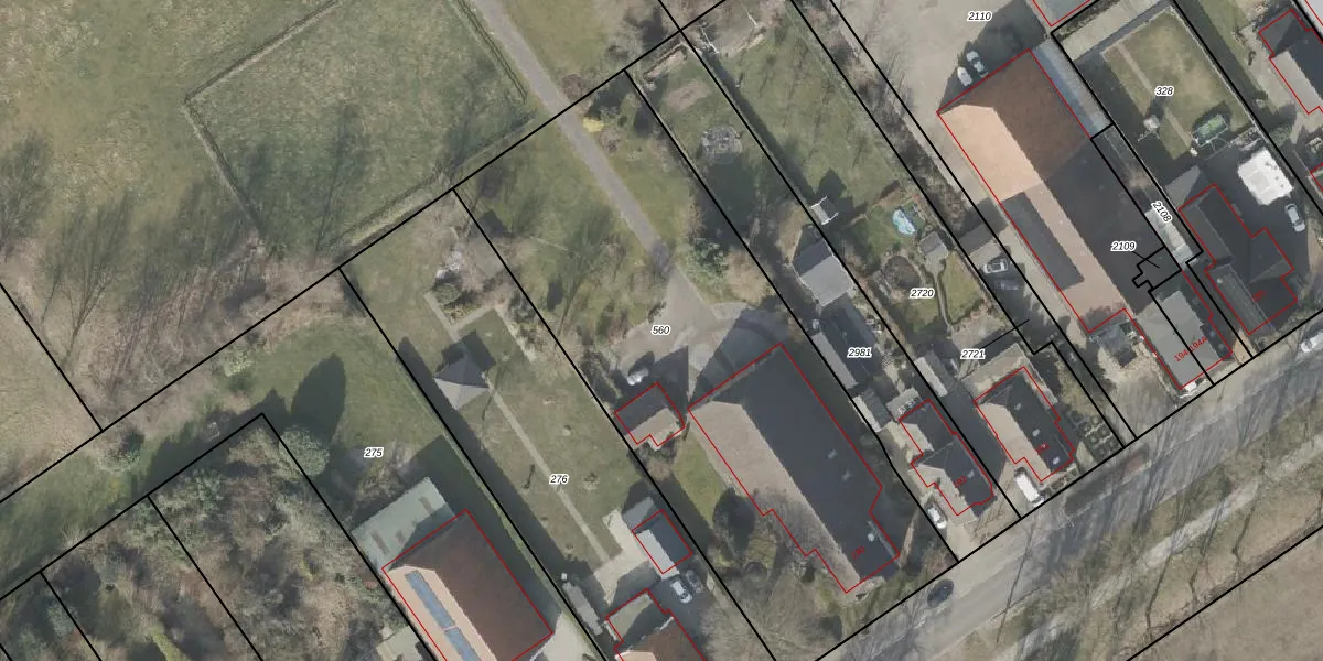
Perceel: ODN00-N-560
KadastraleKaart.com kan meer dan je denktOntdek meer ›
Filter op bestemming 50+ datasets Eigendomsdata in één klik Percelen CRM
2.864 m2 - 243 m
Eigenaar opvragen
ODN00-N-560 (Odoorn)
- 9571 BK
w9H7iT8R34SeL r3RwPjeUpgrade naar KadastraleKaart Pro
Verkoopprijs opvragen
Bekijk op Street View
Download DWG/DXF/Excel
slOxn1mJHx Y 993Upgrade naar KadastraleKaart Pro
FdLJE OnNat 5Upgrade naar KadastraleKaart Pro
e3VYfPaqHjUpgrade naar KadastraleKaart Pro
OuoT4oo1quWxlO1rUpgrade naar KadastraleKaart Pro
nKZ5i6d7VST4MeC nmJUpgrade naar KadastraleKaart Pro
71lJEeeP4qwzcUpgrade naar KadastraleKaart Pro
YYuSf0J x 5Upgrade naar KadastraleKaart Pro
GpdkUH2wqrbGQwUpgrade naar KadastraleKaart Pro
d7Ov E35BOdJRHZYUpgrade naar KadastraleKaart Pro
8We1AKF2UGYUgqLeM iCnmUpgrade naar KadastraleKaart Pro
07/01/2005

Percelen
Gebruik de zoekbalk of klik op een perceel om informatie over het perceel te bekijken.