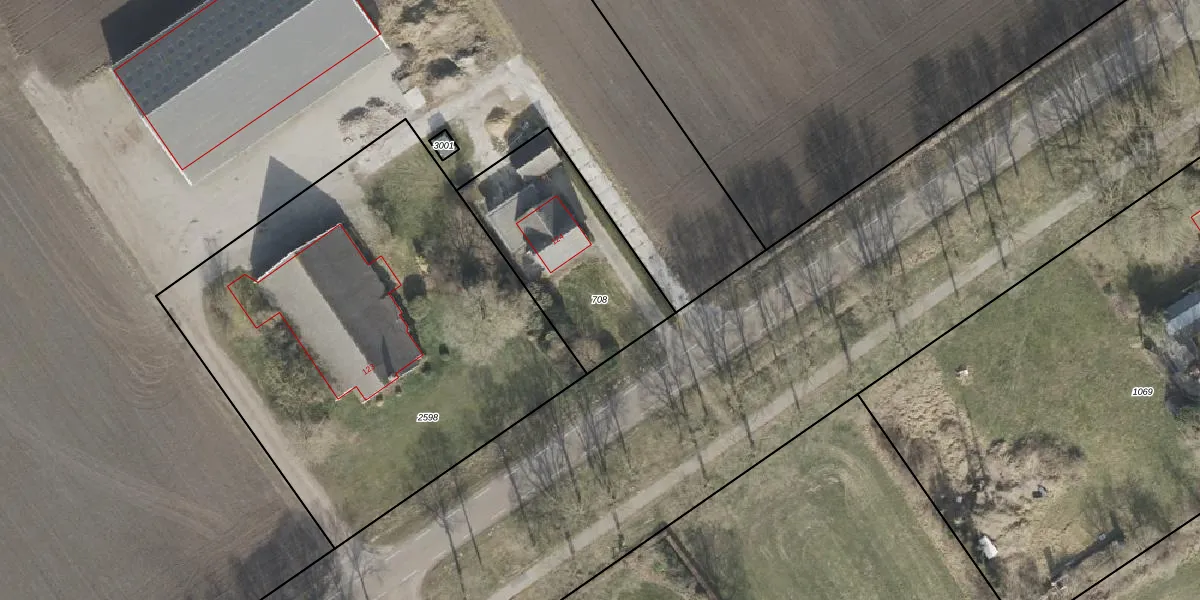
Perceel: ODN00-N-708
KadastraleKaart.com kan meer dan je denktOntdek meer ›
Filter op bestemming 50+ datasets Eigendomsdata in één klik Percelen CRM
684 m2 - 112 m
Eigenaar opvragen
ODN00-N-708 (Odoorn)
- 9573 PG
lnpLBe6PblrHIUcryalMoZ3dQeUpgrade naar KadastraleKaart Pro
Verkoopprijs opvragen
Bekijk op Street View
Download DWG/DXF/Excel
ECWvjDpMiq1GdcQKcnUpgrade naar KadastraleKaart Pro
vQ671 McU hUlDsMrjBmb Upgrade naar KadastraleKaart Pro
OgLcABC1peu0 K9LP44hUOUpgrade naar KadastraleKaart Pro
WoOX9QtRHhBcNmXp3E Upgrade naar KadastraleKaart Pro
Jriu27Z5wPS7eUpgrade naar KadastraleKaart Pro
myHM1Cf8XWFVJRdKXxbQ vMUpgrade naar KadastraleKaart Pro
09j7t VW0BVpUpgrade naar KadastraleKaart Pro
UE0XbN2 T5H jtUCUACsUpgrade naar KadastraleKaart Pro
CTF GtAn2CNz pekTPAcqMCUpgrade naar KadastraleKaart Pro
xE2EoT4hhN4Upgrade naar KadastraleKaart Pro
06/08/2007

Percelen
Gebruik de zoekbalk of klik op een perceel om informatie over het perceel te bekijken.