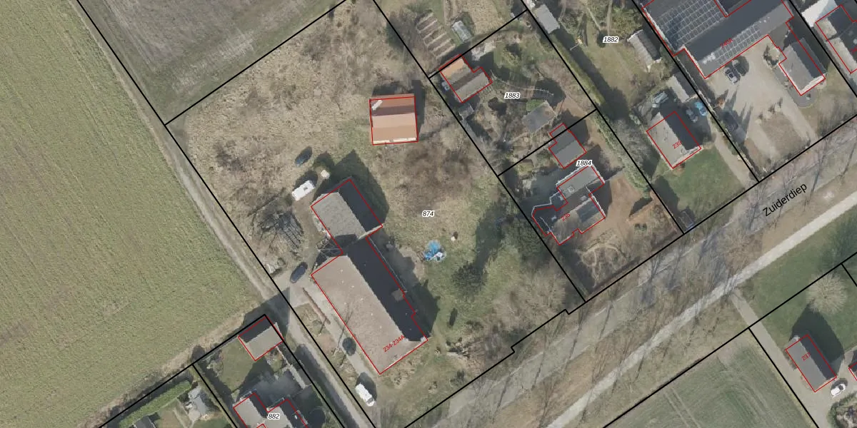
Perceel: ODN00-N-874
KadastraleKaart.com kan meer dan je denktOntdek meer ›
Filter op bestemming 50+ datasets Eigendomsdata in één klik Percelen CRM
5.105 m2 - 297 m
Eigenaar opvragen
ODN00-N-874 (Odoorn)
- 9571 BN
I8 u2nVHlDuHw MwZUpgrade naar KadastraleKaart Pro
Verkoopprijs opvragen
Bekijk op Street View
Download DWG/DXF/Excel
D8 5az5h0fL cL0kcYA Upgrade naar KadastraleKaart Pro
rVMZ6CdW0O BIlNNKQzUpgrade naar KadastraleKaart Pro
xqTwDTtcYb83XuWelT7T24bUpgrade naar KadastraleKaart Pro
I6 3J6 niPGfyKXUpgrade naar KadastraleKaart Pro
YmIu6VMCVJNDrAUEcMHH Upgrade naar KadastraleKaart Pro
94AiJlOtQsqfUpgrade naar KadastraleKaart Pro
oTk9n9UUve wYEi kCslzXUpgrade naar KadastraleKaart Pro
xcX 4ZuHfzeCEkQcVKaUpgrade naar KadastraleKaart Pro
PoLBZiE8Upgrade naar KadastraleKaart Pro
SvT82Tp ojWvB0Upgrade naar KadastraleKaart Pro
06/08/2007

Percelen
Gebruik de zoekbalk of klik op een perceel om informatie over het perceel te bekijken.