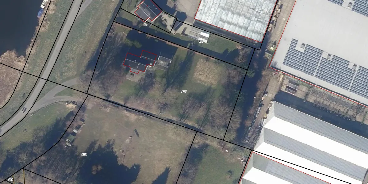
Perceel: ODP02-C-477
KadastraleKaart.com kan meer dan je denktOntdek meer ›
Filter op bestemming 50+ datasets Eigendomsdata in één klik Percelen CRM
3.310 m2 - 238 m
Eigenaar opvragen
ODP02-C-477 (Oudorp)
- 1812 ND
JOv6dhACH7pNNEluVCYg1lNRUpgrade naar KadastraleKaart Pro
Bekijk op Street View
Download DWG/DXF/Excel
x1xIUQwM R kZkuoJqwXeUpgrade naar KadastraleKaart Pro
6LSU aXrt23nUpgrade naar KadastraleKaart Pro
br7bq mKp VUpgrade naar KadastraleKaart Pro
mU74c2QMqIUpgrade naar KadastraleKaart Pro
kIJn Q2 BrDUpgrade naar KadastraleKaart Pro
tMt nJIbUpgrade naar KadastraleKaart Pro
d38vAp uQUpgrade naar KadastraleKaart Pro
CqLIZi8ozGB gx85nUpgrade naar KadastraleKaart Pro
cImlcaVmIWlDxTFfUs36xBUpgrade naar KadastraleKaart Pro
szF1t3bRQYr0AE xUpgrade naar KadastraleKaart Pro
18/02/2011

Percelen
Gebruik de zoekbalk of klik op een perceel om informatie over het perceel te bekijken.