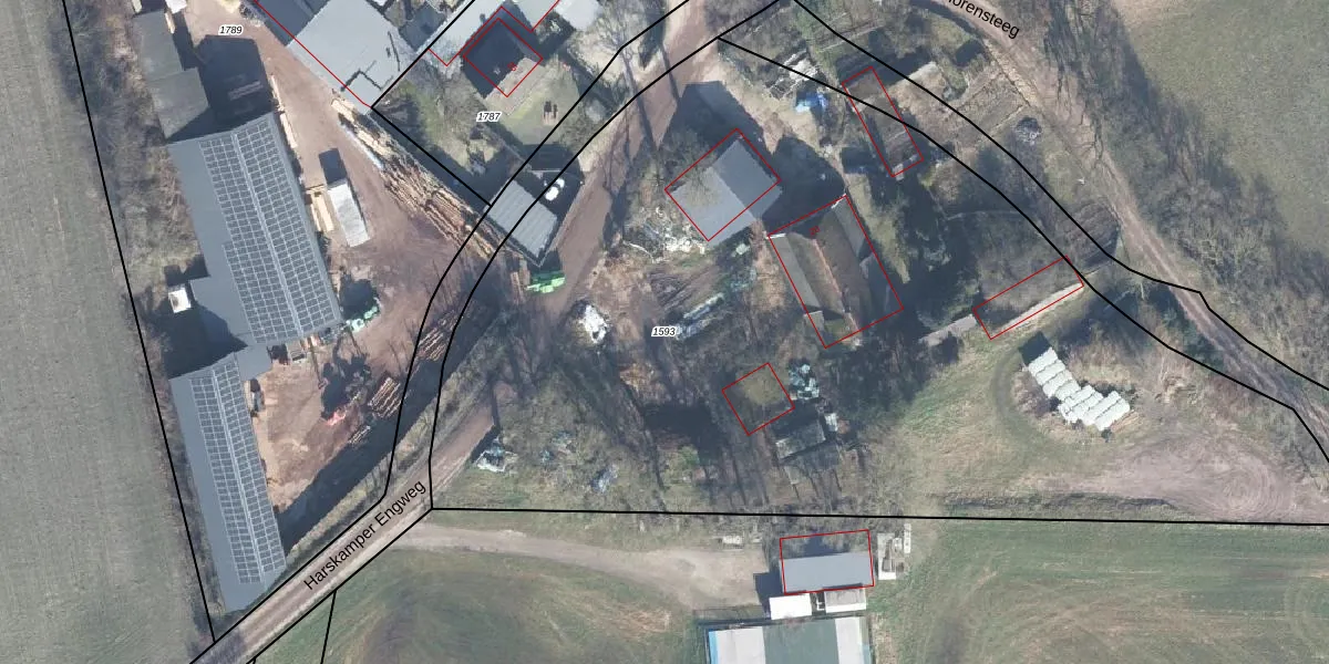
Perceel: OTL02-A-1593
KadastraleKaart.com kan meer dan je denktOntdek meer ›
Filter op bestemming 50+ datasets Eigendomsdata in één klik Percelen CRM
6.448 m2 - 390 m
Eigenaar opvragen
OTL02-A-1593 (Otterlo)
- 6732 EG
ElD6TUo WgIS2dRUpgrade naar KadastraleKaart Pro
Bekijk op Street View
Download DWG/DXF/Excel
oAyJHaRBHCpe ZVIFqUpgrade naar KadastraleKaart Pro
qJ2vspsF3hM9a gEKUpgrade naar KadastraleKaart Pro
1U XF14bPGaFGzQ kUpgrade naar KadastraleKaart Pro
bs C8 ueWsUpgrade naar KadastraleKaart Pro
bsM1LvLfioysx1oxDUpgrade naar KadastraleKaart Pro
B LMDjHuGLgPvHNFW0v9 Upgrade naar KadastraleKaart Pro
tnxPNqbpaps 5WUpgrade naar KadastraleKaart Pro
5uh2 zqSQVVleaBUpgrade naar KadastraleKaart Pro
KFUNSXc72Upgrade naar KadastraleKaart Pro
IL8C j padLT pjUS8KGDUpgrade naar KadastraleKaart Pro
24/11/2020

Percelen
Gebruik de zoekbalk of klik op een perceel om informatie over het perceel te bekijken.