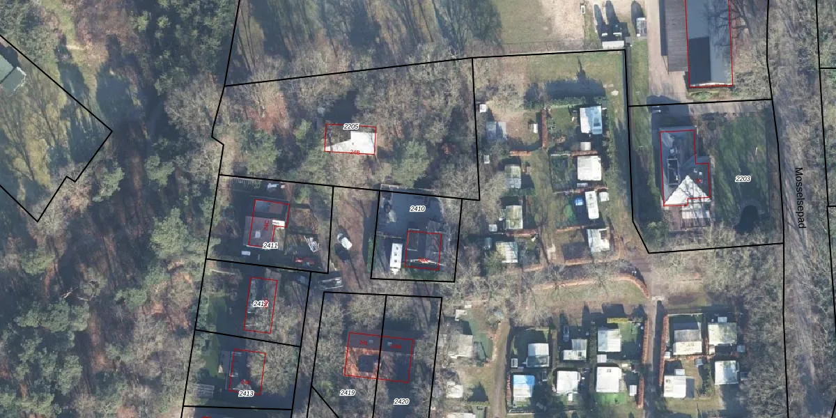
Perceel: OTL02-B-2410
410 m2 - 81 m
Eigenaar opvragen
OTL02-B-2410 (Otterlo)
- 6731 SM
NtE5wNLbqquVT ouWMUpgrade naar KadastraleKaart Pro
Verkoopprijs opvragen
Bekijk op Street View
Download DWG/DXF/Excel
D6 65iH 9o0o3 fSUpgrade naar KadastraleKaart Pro
09bFYxVfdDsck DCCCCYvGUpgrade naar KadastraleKaart Pro
c0 rSYBXcP011j qdiUpgrade naar KadastraleKaart Pro
UTbOVQQqjN uS a4JpUpgrade naar KadastraleKaart Pro
gHa2gkONogz0LV8bDAxOxBUpgrade naar KadastraleKaart Pro
7mGqy jgmUpgrade naar KadastraleKaart Pro
mrGuMImjcSPjUpgrade naar KadastraleKaart Pro
j1FAR MW968Y8Upgrade naar KadastraleKaart Pro
ztquPgUFgTzOQgW4fZRjyUpgrade naar KadastraleKaart Pro
Lj4rK6z0Nm fYXEUpgrade naar KadastraleKaart Pro
27/12/2000

Percelen
Gebruik de zoekbalk of klik op een perceel om informatie over het perceel te bekijken.