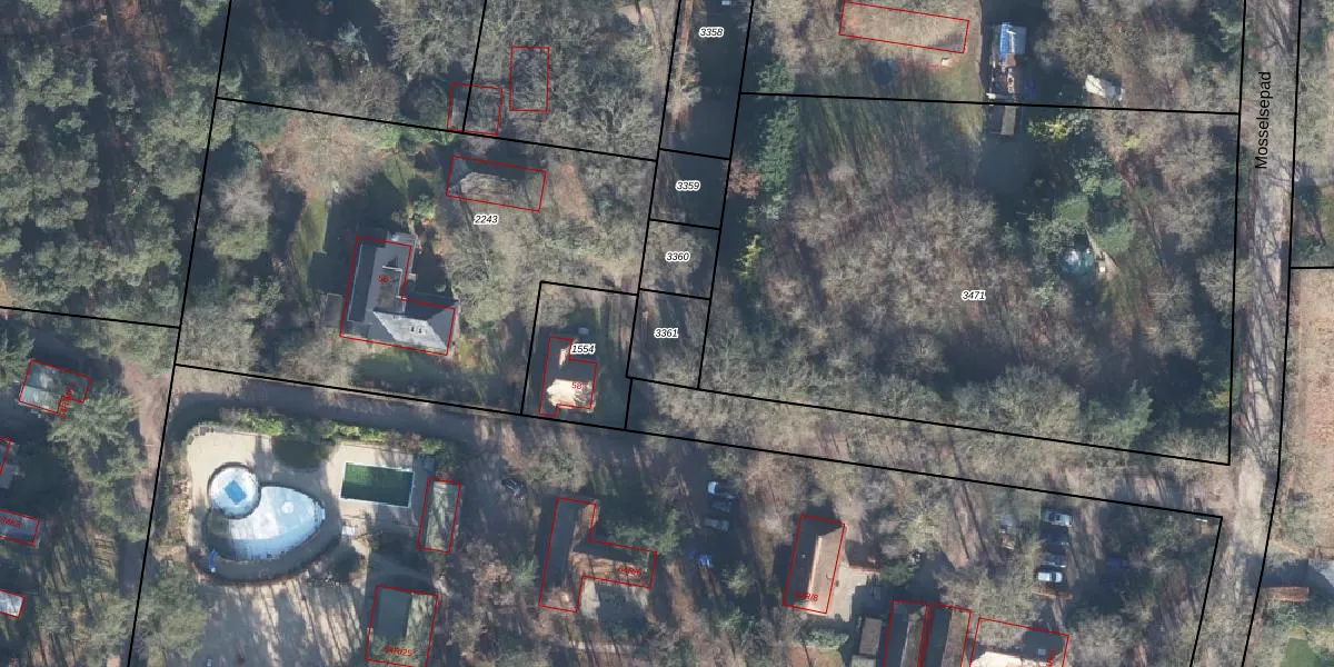
Perceel: OTL02-B-3361
Geen adressen bij dit perceel
148 m2 - 49 m
Eigenaar opvragen
OTL02-B-3361 (Otterlo)
- Geen postcode aanwezig
moMGnHf5eO9bgXXveQ HMcUpgrade naar KadastraleKaart Pro
Bekijk op Street View
Download DWG/DXF/Excel
MMsn3DoxnetqSJy6 dUpgrade naar KadastraleKaart Pro
jEH n eA 3eZyak3YUpgrade naar KadastraleKaart Pro
WO9gCw3jB0iXFIY6QHpD x9Upgrade naar KadastraleKaart Pro
qM 8l8WaKbUpgrade naar KadastraleKaart Pro
72aFIvyzUpgrade naar KadastraleKaart Pro
vsScCi7OAjFyorcAJH RUpgrade naar KadastraleKaart Pro
BwzSikFEGLUpgrade naar KadastraleKaart Pro
jed8m aLERmoUpgrade naar KadastraleKaart Pro
HMM2yvdbP IJwUpgrade naar KadastraleKaart Pro
3gaw5jmzacGUpgrade naar KadastraleKaart Pro
25/10/2019

Percelen
Gebruik de zoekbalk of klik op een perceel om informatie over het perceel te bekijken.