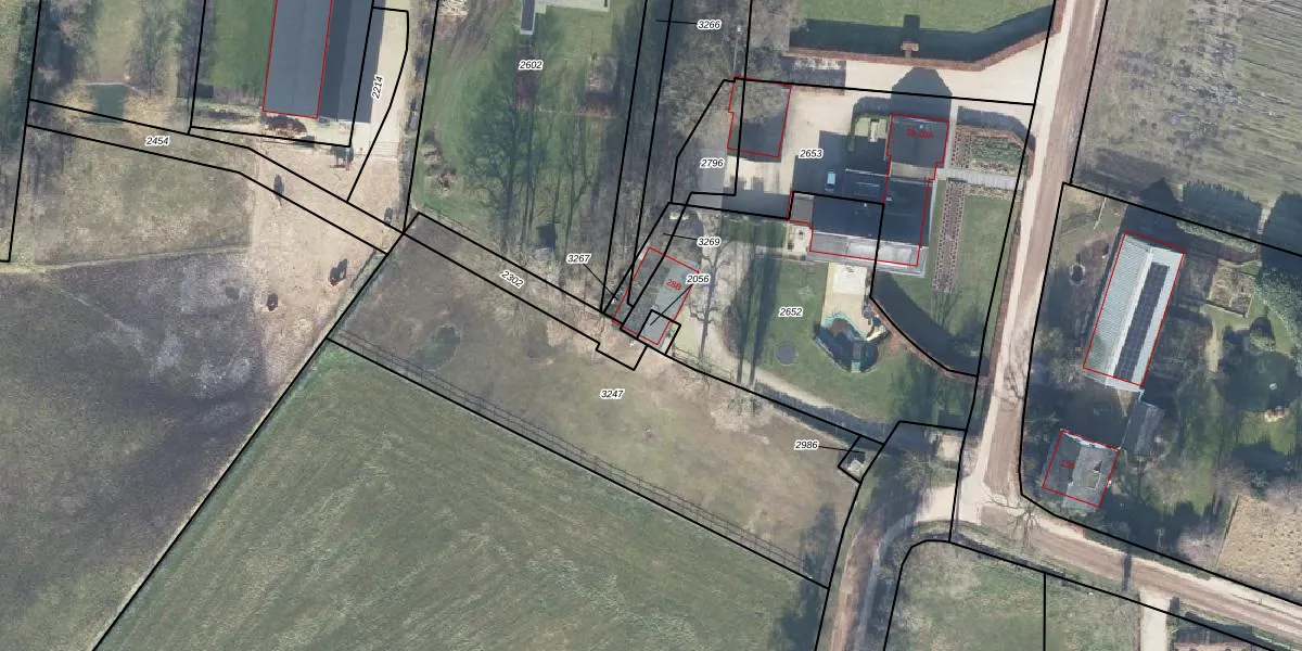
Perceel: OTL02-E-2056
KadastraleKaart.com kan meer dan je denktOntdek meer ›
Filter op bestemming 50+ datasets Eigendomsdata in één klik Percelen CRM
25 m2 - 20 m
Eigenaar opvragen
OTL02-E-2056 (Otterlo)
- Geen postcode aanwezig
8fV1fH6RiMnEiDEwhYi Upgrade naar KadastraleKaart Pro
Bekijk op Street View
Download DWG/DXF/Excel
yDHvx1K NWW mtkfGUpgrade naar KadastraleKaart Pro
H 58y9hGUpgrade naar KadastraleKaart Pro
X4JIsQM 6CUpgrade naar KadastraleKaart Pro
OPEsYiDmIdESeubo 2U8Upgrade naar KadastraleKaart Pro
PrV1SpMMp6eKSzBuEV6Upgrade naar KadastraleKaart Pro
O7 T8 EqvzLdlW U86ijrgOUpgrade naar KadastraleKaart Pro
gV3mV52f0myCbUpgrade naar KadastraleKaart Pro
ST3 zTDTvMlhUpgrade naar KadastraleKaart Pro
OupdTa2TkjtbWY7Uy1JH5gIUpgrade naar KadastraleKaart Pro
5IX2Qf tTGLzUpgrade naar KadastraleKaart Pro
21/03/2001

Percelen
Gebruik de zoekbalk of klik op een perceel om informatie over het perceel te bekijken.