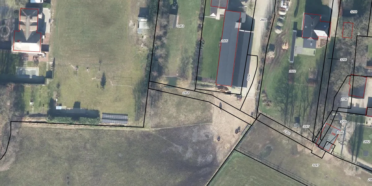
Perceel: OTL02-E-2454
KadastraleKaart.com kan meer dan je denktOntdek meer ›
Filter op bestemming 50+ datasets Eigendomsdata in één klik Percelen CRM
Geen adressen bij dit perceel
230 m2 - 129 m
Eigenaar opvragen
OTL02-E-2454 (Otterlo)
- Geen postcode aanwezig
emvsmPECtJUUg ofj CntvcrnoUpgrade naar KadastraleKaart Pro
Bekijk op Street View
Download DWG/DXF/Excel
2AQzvSzr iArM9Mmtje5yUDUpgrade naar KadastraleKaart Pro
I qokCDmsJ q1iiHEUupL06Upgrade naar KadastraleKaart Pro
WSvtb03Y0fRKP50Upgrade naar KadastraleKaart Pro
KedDP l8RUpgrade naar KadastraleKaart Pro
qv6CASCEACuQ 2 AO6SZ GUpgrade naar KadastraleKaart Pro
yT6i6EUBRmwn7N1nMUpgrade naar KadastraleKaart Pro
EGj7rfJquEVTFcHKUpgrade naar KadastraleKaart Pro
c WAR3jz2xivr429h4Upgrade naar KadastraleKaart Pro
q7fQsRjK ecUpgrade naar KadastraleKaart Pro
x dmCZfSqsyzZEhoM Bw83Upgrade naar KadastraleKaart Pro
27/10/2000

Percelen
Gebruik de zoekbalk of klik op een perceel om informatie over het perceel te bekijken.