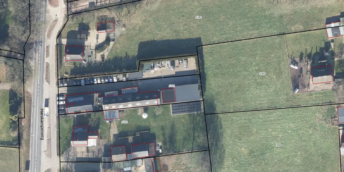
Perceel: OTL02-H-1221
KadastraleKaart.com kan meer dan je denktOntdek meer ›
Filter op bestemming 50+ datasets Eigendomsdata in één klik Percelen CRM
1.290 m2 - 199 m
Eigenaar opvragen
OTL02-H-1221 (Otterlo)
- 6731 AC
nq 9VGlAy WqhEegeUpgrade naar KadastraleKaart Pro
Verkoopprijs opvragen
Bekijk op Street View
Download DWG/DXF/Excel
uC60 olOINtsUpgrade naar KadastraleKaart Pro
Shrfnzit6 6 lUSBF1Upgrade naar KadastraleKaart Pro
N e9UEcOcYL87K 7HNUpgrade naar KadastraleKaart Pro
q bk7N1Z5o Upgrade naar KadastraleKaart Pro
1c KP82kjOGaTUpgrade naar KadastraleKaart Pro
POJ9Dj0pWUoMPA8xRUpgrade naar KadastraleKaart Pro
JQMQfdDvC7mU WLIn7Upgrade naar KadastraleKaart Pro
dF6o1cOT Upgrade naar KadastraleKaart Pro
SEkc61OMp 8pWJg7e Upgrade naar KadastraleKaart Pro
Gu4qWEmUpgrade naar KadastraleKaart Pro
20/11/2000

Percelen
Gebruik de zoekbalk of klik op een perceel om informatie over het perceel te bekijken.