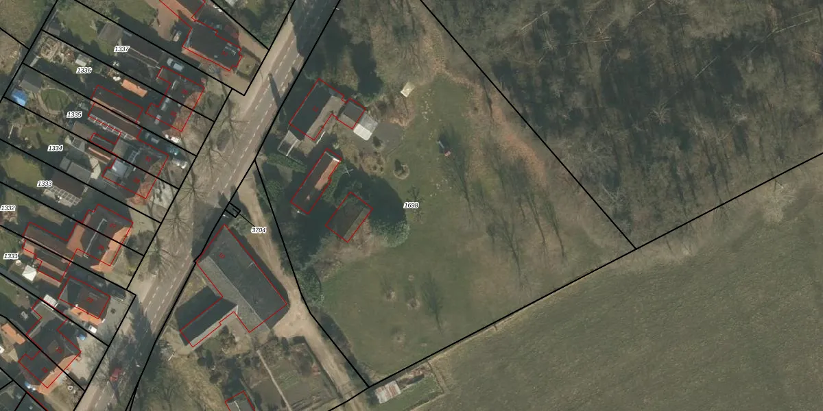
Perceel: OTS00-D-1698
KadastraleKaart.com kan meer dan je denktOntdek meer ›
Filter op bestemming 50+ datasets Eigendomsdata in één klik Percelen CRM
5.235 m2 - 294 m
Eigenaar opvragen
OTS00-D-1698 (Ottersum)
- 6596 AG
ZNviNZLt443HIVDnvnvlUpgrade naar KadastraleKaart Pro
Bekijk op Street View
Download DWG/DXF/Excel
EsVtRho ZBJhdBEbEv 1alUpgrade naar KadastraleKaart Pro
tecC7EM kf S 1BDUpgrade naar KadastraleKaart Pro
b1J5D5WMBUaUpgrade naar KadastraleKaart Pro
4UeaRGUIqNUpgrade naar KadastraleKaart Pro
EJa7eTsOfH CpLwbDNUpgrade naar KadastraleKaart Pro
s SZNiTZzoDdj ugB 6K odUpgrade naar KadastraleKaart Pro
QnB B1zmJhKAUqUpgrade naar KadastraleKaart Pro
YMBkb6eo26IIM09gq8uJUpgrade naar KadastraleKaart Pro
109KeCEvZr6FUpgrade naar KadastraleKaart Pro
yCasz6teGaFSm hFVfVUpgrade naar KadastraleKaart Pro
08/01/2008

Percelen
Gebruik de zoekbalk of klik op een perceel om informatie over het perceel te bekijken.